APP下載
活動
爆料
圖輯
AI爆報
追蹤新聞
3
台灣彩券開獎直播中
三立iNEWS新聞台線上直播
LIVE三立+24小時直播
即時
陳光復重摔昏迷
高金遭搜索
新聞
熱門
政治
社會
娛樂
生活
新奇
健康
國際
兩岸
運動
財經
房產
旅遊
科技
汽車
遊戲
ESG
影音
總覽
政論
節目
熱搜
直播
iNEWS
專題
總覽
特企
專頁
大事件
彩券
專欄
民調
快訊
大樂透最新獎號出爐 百萬紅包還有320組
20:41
新/流當車場陷火海!大批警消搶救中
20:35
高市早苗連任日本首相!賴清德發聲了
20:27
信眾拜求馬上發財 金山財神廟突警報大響
20:20
9歲童負氣離家!因這事大哭 暖警出手了
20:13
恭喜晉升富翁!揭密台彩絕密領獎5步驟
20:00
陳華爆紅砸3千萬買房 月扛5萬房貸吐心聲
20:00
陳華分手交往2年男友 認養2孩已經上小學
20:00
東京觀光巴士國道火燒車 41人死裡逃生
19:49
大S兒女過年行程曝光 回馬筱梅娘家圍爐
19:44
日本陸客銳減6成!台旅客年增17%穩居第二
19:39
明全台回暖好天氣 這天又1波東北季風
19:29
賴清德回台南參香穢物上身 疾管署說話了
19:21
福特拋震撼彈!中國車可能轉往美國製造
19:00
陸元琪沒娘家回!家人接連離世:心空空
18:53
鄭麗文撞鐘抖動!媒體人:畫面確實有點玄
18:46
菲律賓副總統杜特蒂宣布參選 政爭恐升溫
18:44
3天內連2起!湖北鞭炮店爆炸 至少12死
18:41
金蛇年雙冠王!台科、日股基金
18:31
雲南楚雄客船翻覆釀4死 中國國務院督辦
18:29
台灣彩券開獎直播中
20:31
台彩春節加碼12億元創新高
12:00
大樂透加碼480組100萬元
12:00
大樂透加碼800組10萬元
12:00
初一金山財神廟湧人潮 聯名蛋捲禮盒喜氣
14:00
拜拜,其實很有台灣式幽默!
09:00
WE ARE我們的除夕夜 跨世代卡司陪觀眾
11:00
星城Online攜手《戲說台灣》拍創意單元劇
12:00
MY管管尾牙熱鬧登場 主打福利吸新戰力!
17:45
土城永福岩祖師廟擲筊賽 首獎祭百萬現金
14:50
春節最佳去處!桃園龍德宮成網美打卡點
13:00
以高回饋機制協助家庭資金更有效率運用
16:00
暗黑風格吸血鬼遊戲新作3/11上市!
12:00
幸福企業!愛妮雅集團成員工最強後盾
12:00
永旭保經留才 調整制度拚長期發展
11:30
首頁
關鍵字
伍婉華
伍婉華
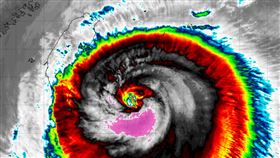
丹娜絲開眼倒數!鄭明典:降雨效率很高
颱風丹娜絲今(6)日稍早增強為中度颱風,朝著台灣方向...
2025/07/06 14:06
媽祖遶境台語報氣象 伍婉華喊「聽有嘸」
大甲媽祖年度遶境引來國內外個人或團體隨行,其中一個隊...
2025/04/04 19:50
批氣象署長期失準!她揭山陀兒離譜鬼預測
近期山陀兒颱風的停停走走,有些距離颱風位置很近的縣市...
2024/10/03 23:45
「風測專家」休假害預報不準?伍婉華變臉
「山陀兒」轉強颱後一度在台灣南端外海停滯,移動速度緩...
2024/10/03 01:34
「氣象女神」還在報 眾人讚:颱風只看她
「山陀兒」颱風來勢洶洶,中央氣象署每日固定時段都會有...
2024/10/02 14:35
山陀兒動態難預測 氣象署預報員提心吊膽
山陀兒鬼切北上、延後登陸,氣象署簡任技正伍婉華說明,...
2024/10/02 11:12
颱風山陀兒減弱為中颱 仍有持續減弱趨勢
中央氣象署表示,颱風山陀兒已經減弱為中度颱風,未來因...
2024/10/02 08:25
山陀兒直撞南部 專家:碰中央山脈才消風
中央氣象署指出,強烈颱風山陀兒今(1日)7時的中心位...
2024/10/01 11:04
全台都躲不過!午後暴雨炸到週四下到發紅
根據中央氣象署指出,未來一周天氣型態將以高溫悶熱但午...
2024/06/18 12:18
隨大甲媽繞境報天氣 伍婉華成看板人氣旺
大甲媽遶境今天(五日)深夜起駕,氣象署連續12年跟著...
2024/04/05 23:25
今北東變天轉涼!「1地區」低溫探13度
今(26)日受到東北季風影響,北部天氣明顯轉涼,中央...
2024/03/26 11:19
又有2熱帶系統蠢動 「其中1個可能近台」
第14號颱風「小犬」逐漸離開,中央氣象署預估明(6)...
2023/10/05 16:57
花蓮明停班停課!網羨慕:這裡以北別想了
中颱「小犬」今日與5日最靠近台灣,除了提醒大眾要防範...
2023/10/04 16:00
「下班下課千萬小心」 恐怖強陣風將至
第14號颱風「小犬」路徑稍微南修,中央氣象署預估明(...
2023/10/04 13:24
不太妙?海葵「變強進逼北台」週五海警
中央氣象局週四(31日)14:30解除蘇拉海上颱風警...
2023/08/31 15:03
北部注意!海葵路徑西修還變強 週五海警
中央氣象局昨(30)夜解除蘇拉颱風陸上警報,預計今天...
2023/08/31 09:02
蘇拉襲台!明東南部大雨、桃園至高雄高溫
氣象局晚間表示,蘇拉颱風目前位於鵝鑾鼻的南南東方並預...
2023/08/29 21:14
開學遇蘇拉颱風將停班課?明風雨預測出爐
中央氣象局今(29)日傍晚對「蘇拉」颱風發布陸上颱風...
2023/08/29 19:14
中颱蘇拉發陸警「可能放颱風假地區」出爐
「蘇拉」颱風持續接近台灣,中央氣象局今(29)日17...
2023/08/29 18:13
「彩色番薯」將再現 氣象局揭轉雨時刻
中央氣象局表示,未來一週會有2道鋒面陸續影響台灣天氣...
2023/05/16 13:26
伍婉華:大年初二會有一波「較強冷空氣」
中央氣象局表示,週三(18日)天氣和週二差不多,大台...
2023/01/17 17:31
強颱璨樹最快今夜海警 這3天最接近
強颱「璨樹」目前行進速度變快,恐提前北轉,之後不排除...
2021/09/09 11:05
不排除發布海警 氣象局:今晚起變天
熱帶性低氣壓目前正往巴士海峽行進,中央氣象局表示若形...
2021/07/05 11:16
午後防暴雨!氣象局曝「這2天放晴」
昨(24)日鋒面接近,大台北、宜蘭花蓮地區和山區都下...
2021/05/25 10:47
低溫不斷更新/超強寒流 全台凍番薯
超強寒流即將報到!全台將迎接47年來最冷跨年夜,且1...
2020/12/29 16:40
超強寒流報到 跨年夜急凍不到10度
歲末年終,台灣即將迎接今年入冬首波強烈寒流,北部、東...
2020/12/29 10:54
中秋想賞月 氣象局:3地區機率最大
今年中秋連假,交通部首創「路況與天氣聯合播報」機制,...
2020/09/30 16:10
最強梅雨!屏東「時雨量」飆近百毫米
「最強梅雨」炸台,挾帶西南氣流,中南部雨勢最劇烈,南...
2020/05/22 10:50
不排除發布海警!「玲玲」兩點成關鍵
今年第13號颱風「玲玲」於昨(2)日早上生成,中央氣...
2019/09/03 11:08
準颱北轉侵台?氣象局:周四起防雨彈
目前位於菲律賓東方海面的熱帶性低氣壓,最快有可能在今...
2019/07/16 12:29
最新圖輯
更多
初孟軒、鍾岳軒專訪
龍千玉與翁立友領豪記唱片群星拜年
Rain鄭智薰小巨蛋演唱會
金在中演唱會
羅志祥30周年演唱會
凱琳專訪
黃鐙輝、吳念軒、黃騰浩專訪
第62屆金馬獎得獎後台
第62屆金馬獎紅毯
劉書宏專訪
今日頭條
1
高市早苗連任日本首相!賴清德發聲了
2
大樂透最新獎號出爐 百萬紅包還有320組
3
明全台回暖好天氣 這天又1波東北季風
4
初三南下北返車潮爆量 3路段塞到凌晨
5
鄭麗文紅繩事件!胡采蘋:換她們結果不同
6
東京觀光巴士國道火燒車 41人死裡逃生
7
陸元琪沒娘家回!家人接連離世:心空空
8
北京怒!自由亞洲電台復活:恢復對中廣播
9
30歲後4財務地雷別踩!錯一步恐慘虧百萬
10
張鈞甯自稱道地台灣人 春晚後台揭1秘辛
HOT焦點
更多
暗黑風格吸血鬼遊戲新作3/11上市!
初一金山財神廟湧人潮 聯名蛋捲禮盒喜氣
除夕WE ARE熱鬧無比 台語饒舌跨世代共演
頻道推薦
直播✦活動
三立新聞網
為了提供更好的閱讀內容,我們使用相關網站技術來改善使用者體驗,也尊重用戶的隱私權,特別提出聲明。
了解最新隱私權聲明
知道了