APP下載
活動
爆料
圖輯
AI爆報
追蹤新聞
倒 數
3
天
4
郭智輝報告並備質詢
台灣彩券開獎直播中
三立iNEWS新聞台線上直播
LIVE三立+24小時直播
即時
中共跨境鎮壓
台美關稅掀牌
新聞
熱門
政治
社會
娛樂
生活
新奇
健康
旅遊
國際
兩岸
運動
財經
房產
科技
汽車
遊戲
ESG
影音
總覽
政論
節目
熱搜
直播
iNEWS
專題
總覽
特企
專頁
大事件
彩券
專欄
民調
快訊
保健品日常化、即時化 營養師曝挑選關鍵
16:00
民眾黨擬廢串證免羈押 律師曝最恐怖之處
09:17
閃車自摔…大客車輾過!年輕騎士爆頭慘死
09:15
開盤/台積電遭美點名換股權 開盤暴跌
09:15
白提案串供不得羈押 律師示警科技業1事
09:11
黃國昌提廢串證羈押 他驚:幫犯人開大門
09:10
彰警誤抓少年當黑工 強壓害縫17針遭糾正
09:08
棒球隊8人遇劫「削腿缺肉」父慟:用我的
09:06
大咖金曲歌后爆出家當尼姑 真實近況曝光
09:06
發錢了!2津貼一早入帳 月底前還有14筆
09:01
新/台中大里命案!20多歲男吊掛橋下死亡
09:01
他28歲得直腸癌 醫:覺得大不乾淨是警訊
09:00
粿粿范姜生日未祝賀爆情變 鹿晗也傳分手
09:00
驚!國稅局官員竟然曝光有錢人的致富習慣
09:00
林昀儒無緣16強 WTT大滿貫台男單全淘汰
08:59
館長舔共失敗要回台灣了 直播失落表情曝
08:59
星巴克買1送1!星沁爽、星冰樂爽爽喝
08:58
美司令:習近平下令2027年前具奪台能力
08:52
1飲料很毒!醫示警:每天喝一點點也下場慘
08:51
台南30店獲必比登 粉專:台南人沒在岔曉
08:49
台灣彩券開獎直播中
20:31
郭智輝報告並備質詢
08:30
刷中國信託Visa卡 追星行程一次搞定
15:00
跟女友一樣!多力多滋新口味 又辣又爽
15:00
和泰公益短片 用善的循環「量產幸福」
12:00
EV智匯「致茂橋豐」構築港灣雙車家庭生活
11:00
首頁
關鍵字
打轉
打轉
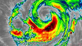
凱米「颱風眼」消失了!雨彈恐續炸到週末
氣象專家吳德榮表示,根據雷達觀測顯示,「凱米」約花了...
2024/07/25 06:44
凱米繞了一圈結構仍完整!北部風雨有變化
凱米今(25)日0時左右在宜蘭縣南澳附近登陸,根據最...
2024/07/25 04:43
卡努滯留灌強風原因曝!網:房子抖了幾下
根據中央氣象局觀測,中颱卡努今(4)日上午4時中心位...
2023/08/04 05:00
嚇!車輛失控打轉 專家教你自保3招
高速行駛在路上最怕就是遇到車輛失控打轉造成意外,發生...
2018/08/25 19:28
搭計程車遇「鬼打牆」司機 嚇壞陸生
一名女網友昨(15)日在Dcard發文呼籲「女孩一個...
2018/01/16 15:07
油門當煞車踩 女駕駛暴衝狂撞路人
大陸天津市濱海新區一處社區,今(11)日上午11點左...
2017/10/11 19:31
騎士闖紅燈被撞 廂型車側翻打滑轉圈
台南今(14)日凌晨發生汽機車對撞意外,騎士路口闖紅...
2017/04/14 15:37
國4車禍 轎車緊黏貨櫃車打轉拖行
國道4號靠近神岡交流道處發生一起驚險車禍,大貨車從中...
2017/03/22 14:20
最新圖輯
更多
第36屆金曲獎星光大道
第36屆金曲獎得獎圖輯
NMIXX林口體育館粉絲演唱會
KISS OF LIFE台北演唱會
林芯儀專訪
GYUBIN大巨蛋開球
陳謙文專訪
孫麥傑專訪
《我們這一攤2》首播記者會
台中新光三越氣爆
今日頭條
1
伴遊一天30萬日圓!兩日女疑遭囚禁、性侵
2
中共不讓館長開抖音 陸網也酸:投機分子
3
鐵霸交保反應曝!小弟簇擁…搭高檔車離去
4
美商務部長:不能依賴台灣!白送錢給台積
5
掰了虞書欣?47歲吳建豪勾手新歡見習婚禮
6
俄烏峰會有望?CNN分析:普丁根本不想談
7
粿粿當紅為愛退出啦啦隊 與王子幫赴美
8
823決戰台中!罷團點「這人」仇恨值最高
9
美司令:習近平下令2027年前具奪台能力
10
南珉貞「騎隊旗」挨轟再道歉 自責曝心聲
HOT焦點
更多
保健品日常化、即時化 營養師曝挑選關鍵
跟女友一樣!多力多滋新口味 又辣又爽
丹哥幽默風趣短影音 傳遞台映象人文風情
頻道推薦
直播✦活動
三立新聞網
為了提供更好的閱讀內容,我們使用相關網站技術來改善使用者體驗,也尊重用戶的隱私權,特別提出聲明。
了解最新隱私權聲明
知道了