APP下載
活動
爆料
圖輯
AI爆報
追蹤新聞
3
台灣彩券開獎直播中
三立iNEWS新聞台線上直播
LIVE三立+24小時直播
即時
赤手獨攀101
台美關稅15%
新聞
熱門
政治
社會
娛樂
生活
新奇
健康
國際
兩岸
運動
財經
房產
旅遊
科技
汽車
遊戲
ESG
影音
總覽
政論
節目
熱搜
直播
iNEWS
專題
總覽
特企
專頁
大事件
彩券
專欄
民調
快訊
冬天結束?鄭明典揭「1跡象」:春季快來
16:55
台南8旬翁頭暈就醫傻眼 醫:心跳剩32下
16:52
可以我歐吉桑!陳冠宇正式報到WBC台灣隊
16:52
藍白10度封殺國防預算!王定宇怒批這句
16:47
曹西平待員工如己出!丁寧:祂接住好多孩子
16:46
未爭吵!役男遭司機丟包前12分鐘詭異噤聲
16:45
車銀優爆逃稅200億!二度發聲:負起責任
16:43
銀行發財水怎麼用?放這裡財神直接住你家
16:42
軍購繁複流程曝!國防部17字震撼藍白
16:36
丼飯連鎖店買隱藏早餐 眾人看價格全跪
16:36
立百病毒R0值低!羅一鈞喊難流行但憂1事
16:32
遊客受困遊樂設施?義大世界回應了
16:27
太子集團案33件名牌包、鞋、茶具將拍賣
16:25
王子吃尾牙范姜怒酸4字 網罵:超不成熟
16:25
曾效力味全龍!44歲川崎宗則加入中日龍
16:23
黃智賢:關稅藍陷抉擇、兩邊討好走到盡頭
16:22
霍諾德吃素練出神人肌力 醫揭2食物是關鍵
16:20
習近平開鍘張又俠:揭習張兩家父輩祕辛
16:18
嘉市警揮毫迎馬年 捐血防詐並進守護嘉人
16:17
車銀優涉逃稅200億!恐面臨天價違約金
16:14
台灣彩券開獎直播中
20:31
迎金馬年!台彩春節加碼總獎金12億
16:00
凱基金控2026 MA招募開跑!
16:00
昇恆昌董座實踐利他精神全員志工化做公益
16:00
便當傳愛對抗孤單 為視障黑暗中點燈
14:00
吳琪銘宣布交棒兒吳昇翰 造勢場5千人挺
20:00
搶攻年前購車潮 賓士「超星動專案」吸睛
12:00
數位轉型AI實戰 凱基金控躋身AI創新百強
10:30
首頁
關鍵字
諾盧
諾盧
午後雨彈襲2地區 雙颱共舞對台影響曝
最新(28日2時)中央氣象局「路徑潛勢預測圖」顯示,...
2022/09/28 08:06
今飆37度連7天秋老虎到 恐又有颱風
三立氣象專家吳德榮指出,全台各地白天熱、早晚涼,日夜...
2022/09/28 07:01
諾盧颱風釀菲律賓8死 越南呼籲居民撤離
威力持續增強的颱風諾盧(Typhoon Noru)在...
2022/09/27 15:59
諾盧還在增強 鄭明典:歸類極度危險颱風
根據中央氣象局資料,太平洋地區目前有2個颱風,包括今...
2022/09/27 09:35
雙颱共舞路徑這樣走!午後雨襲2地區
27日2時中央氣象局路徑潛勢預測圖顯示,中颱諾盧持續...
2022/09/27 08:17
秋老虎來了溫差大 首波東北季風時間曝
中央氣象局指出,今(27)、明兩日臺灣各地及澎湖、金...
2022/09/27 06:05
本週好天氣剩3天 氣象局說明「雨區分布」
中央氣象局表示,今(26)日基隆北海岸、東半部、大台...
2022/09/26 11:05
諾盧開眼!雨彈炸宜蘭「紫爆」4縣市警戒
「諾盧」增強為中度颱風,中央氣象局長鄭明典也發文提醒...
2022/09/25 09:26
諾盧變這麼強 鄭明典貼2圖:雲系很危險
今年第16號颱風「諾盧」升為中度颱風,結構紮實、快速...
2022/09/25 08:57
諾盧轉中颱 專家示警「1地」:這天起防大雨
今年第16號颱風諾盧已經升格為中度颱風,今(25)日...
2022/09/25 07:36
諾盧颱風影響!吳德榮:週末2地區大雨
近日海面上有雙颱形成,根據衛星雲圖顯示,兩者雖然都不...
2022/09/24 06:28
16號颱風諾盧生成 雙颱「迴避」台灣
中央氣象局今(23)日15時20分表示,原位於呂宋島...
2022/09/23 15:28
颱風「塔拉斯」生成 週末2區雨彈襲
日本南方海面的熱帶低壓今(23)日增強為今年第15號...
2022/09/23 09:18
雙颱將生成!「塔拉斯、諾盧」路徑揭曉
秋季到,近來天氣已經明顯降溫,太平洋面上目前出現兩個...
2022/09/22 17:28
昨飆高溫破今夏紀錄!悶熱再持續2周
昨(7)日中午天氣炎熱,台北氣象站測得38.5度高溫...
2017/08/08 12:57
諾盧壽命長、殺傷大 已釀2死24傷
「長壽怪颱」諾盧今(7)日終於登陸日本,風暴威力雖然...
2017/08/07 21:48
高溫持續到周四!明台北恐再飆37度
今(7)日受到高壓沉降效應影響,大台北地區晴朗炎熱,...
2017/08/07 19:29
諾盧颱風肆虐 赴日、返台航班異動
諾盧颱風肆虐,為日本九州、四國及東海地區帶來強烈風勢...
2017/08/07 14:00
諾盧颱風影響 多家航空取消赴日班機
受到諾盧颱風影響,今(6)日多間航空公司公布明日航班...
2017/08/06 21:37
未來一週熱爆 北市體感溫飆至42度
受到長壽颱風諾盧外圍沉降效應,導致今(6)日全台各地...
2017/08/06 20:19
龜速颱風諾盧登陸日本 已釀2死9傷
今年第5號颱風「諾盧」,在海上漂流了2個多星期後,現...
2017/08/06 14:59
西南風帶來焚風 北部盆地高溫明顯
氣象局科技中心主任鄭明典今(6)日中午在臉書指出,因...
2017/08/06 14:35
北部高溫狂飆37度 持續酷熱至週四
本周末天氣晴朗炎熱,昨(5)日下午台北市飆出37度高...
2017/08/06 07:43
全台熱炸雨零星 37度高溫狂燒7天
今(5)日因「諾盧」颱風外圍沉降氣流逐影響台灣附近,...
2017/08/05 07:33
未來一週更熱!明北部高溫恐飆37度
周末更熱!今(4)日各地仍多雲時晴,午後有局部雷陣雨...
2017/08/04 19:10
諾盧影響 華航航班異動資訊報你知
受到諾盧颱風影響,華航於今(4)日宣布,明日國際線航...
2017/08/04 16:14
中颱諾盧影響日本 台灣小心長浪
根據中央氣象局今天最新觀測,第5號中度颱風諾盧的外圍...
2017/08/04 08:56
颱風奈格成形 一舉打破50年來紀錄
今年第11號颱風奈格(Nalgae)於今(2)日上午...
2017/08/02 15:02
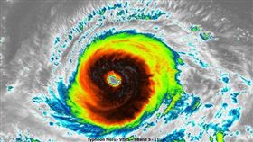
今年最強風暴!諾盧開大眼清晰照曝光
今年第5號颱風諾盧(NORU)上月21日生成,在太平...
2017/08/02 11:22
西南部水氣偏多!7縣市大雨特報
西南風影響,易有短時強降雨,中央氣象局今(2)日早上...
2017/08/02 10:36
最新圖輯
更多
羅志祥30周年演唱會
凱琳專訪
黃鐙輝、吳念軒、黃騰浩專訪
第62屆金馬獎得獎後台
第62屆金馬獎紅毯
劉書宏專訪
袁澧林、陳孝萱專訪
第36屆金曲獎星光大道
第36屆金曲獎得獎圖輯
NMIXX林口體育館粉絲演唱會
今日頭條
1
藍白10度封殺國防預算!王定宇怒批這句
2
未爭吵!役男遭司機丟包前12分鐘詭異噤聲
3
川普突加南韓關稅 總統喊話藍白別做這事
4
剴剴案二審宣判!郁方痛批廢死團體該廢死
5
立百病毒R0值低!羅一鈞喊難流行但憂1事
6
許舒博籲藍白別擋台美關稅:民意會大反撲
7
王子不倫粿粿首露面 范姜怒譙:還要臉嗎
8
霍諾德紅衣爬101!起初憂代表某種政治立場
9
發現事情大條?ICE連殺2公民 川普動作了
10
曹西平告別式無血親到 龍千玉現身火化場
HOT焦點
更多
何志偉攜手綠議員前進市場 向鄉親拜早年
上班什麼方式最快?靠它一路順暢不卡關
凱基金控2026 MA招募開跑!
頻道推薦
直播✦活動
三立新聞網
為了提供更好的閱讀內容,我們使用相關網站技術來改善使用者體驗,也尊重用戶的隱私權,特別提出聲明。
了解最新隱私權聲明
知道了