APP下載
活動
爆料
圖輯
AI爆報
追蹤新聞
5
卓榮泰赴立院施政報告並備詢
道奇連2年世界大賽封王
台灣彩券開獎直播中
三立iNEWS新聞台線上直播
LIVE三立+24小時直播
即時
黃明志捲命案
非洲豬瘟侵台
新聞
熱門
政治
社會
娛樂
生活
新奇
健康
國際
兩岸
運動
財經
房產
旅遊
科技
汽車
遊戲
ESG
影音
總覽
政論
節目
熱搜
直播
iNEWS
專題
總覽
特企
專頁
大事件
彩券
專欄
民調
快訊
本週和新壽確定分手費!蔣萬安揭最新進度
09:15
9億CEO陳屍豪宅!正妹女藥頭真面目曝光
09:13
開盤/智邦攻頂漲停 台股開高爆量
09:12
鳳凰最快今晚生成!颱風路徑、侵台機率曝
09:08
鳳凰最快今生成!拋物線北上3可能路徑曝
09:08
出獄再犯…一夜闖2空門「亡母」淪擋箭牌
09:04
「微型電動二輪車」事故最新數據曝光!
09:00
全球替「于朦朧討公道」 最新連署人數曝
08:58
高溫假有譜!勞團籲:低溫假也要一併討論
08:54
會面未提台!美學者爆川普不想習近平1事
08:51
律師:黃國昌若拿錢質詢 低消7年以上徒刑
08:50
她問黃國昌:立院咆哮難道是金錢交響曲?
08:41
北捷板南線隨機傷人案!女子遭判刑4年6月
08:40
黃明志謝侑芯過夜酒店曝!一晚萬元景觀佳
08:35
陳偉殷開箱傳奇金卡 全台僅2人有
08:34
預謀害命?縱火嫌事前2舉動令人不寒而慄
08:28
她咳嗽、大笑就尿失禁!醫曝3族群高風險
08:27
不是吃藥!「1事」最能助眠:睡得沉又香
08:20
曾因1事持棍恐嚇…縱火男平日詭異行徑曝
08:17
新台幣改版惹議/吵翻天!四大爭議一次懂
08:02
台灣彩券開獎直播中
20:31
卓榮泰赴立院施政報告並備詢
08:20
桃園城市影像培力坊 深化學員影像創作力
13:00
侯昌明 「桂格完膳」響應世界糖尿病日!
11:00
首頁
關鍵字
鴻雁
鴻雁
海葵出海 氣象局:傍晚可望解除本島陸警
第11號颱風海葵今(4)晨4時左右中心二次登陸高雄,...
2023/09/04 13:06
危險!海葵變強「16級強陣風」席捲2地區
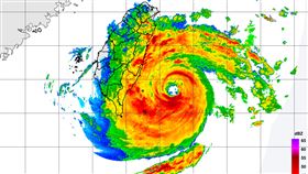
第11號颱風海葵暴風圈開始影響東部陸地,強度略增,今...
2023/09/03 12:13
出國遇「雙颱夾擊」他崩潰:地獄倒楣鬼
颱風「海葵」今(3日)清晨從花東觸陸,今明2天風雨影...
2023/09/03 11:37
海葵今籠罩!花蓮超大豪雨 秒懂降雨熱區
今年第11號颱風海葵週日(3日)清晨5時觸陸,颱風中...
2023/09/03 09:54
16級風是啥境界?氣象局:8級就寸步難行
海葵颱風週日(3日)清晨5時觸陸,中心下午到傍晚登陸...
2023/09/03 09:21
新/海葵環流甩雨 5縣市豪大雨特報
中央氣象局週六(2日)22:10針對5縣市發布豪、大...
2023/09/02 22:30
明飛日本慘遇海葵、鴻雁 地獄倒霉鬼現身
中央氣象局今(2)日持續針對「海葵」發布陸上颱風警報...
2023/09/02 15:30
海葵未到對流雨彈先來襲 5縣市大雨特報
中央氣象局今(1)日13:20針對5縣市發布大雨特報...
2023/09/01 13:39
海葵恐撲台 戴雲發:當心街頭不定時炸彈
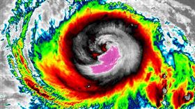
海葵、蘇拉、鴻雁三颱共舞!中央氣象局資訊顯示,海葵持...
2023/09/01 11:40
中颱海葵估登陸宜花 這3天風雨最劇
今年第11號颱風海葵路徑南修,直撲台灣的趨勢愈來愈明...
2023/09/01 10:38
三颱共舞!出門要帶傘 五區有8、9級強風
明天高溫將飆升至34度!中央氣象局指出,受到9號颱風...
2023/08/31 21:14
幸好只是擦身而過 蘇拉暫居今年最強颱
氣象局今(31)天下午解除颱風蘇拉海警,蘇拉也是今年...
2023/08/31 16:33
不太妙?海葵「變強進逼北台」週五海警
中央氣象局週四(31日)14:30解除蘇拉海上颱風警...
2023/08/31 15:03
蘇拉海警午後解除 環流引發高溫、豪雨
中央氣象局昨(30)夜解除蘇拉颱風陸上警報,預計今天...
2023/08/31 09:34
北部注意!海葵路徑西修還變強 週五海警
中央氣象局昨(30)夜解除蘇拉颱風陸上警報,預計今天...
2023/08/31 09:02
西太平洋三咖督混戰!3颱最新路徑曝
蘇拉颱風逐漸遠離,氣象局在昨(30日)晚間解除陸上颱...
2023/08/31 08:23
大雷雨連5日!海葵暴風圈掠過東北部海面
31日2時觀測資料顯示:「強颱蘇拉」颱風仍在顛峯(近...
2023/08/31 08:10
鴻雁生成三颱共舞防雨!未來一周天氣曝光
第九號颱風「蘇拉」暴風圈已經完全脫離恆春半島,中央氣...
2023/08/31 06:16
海葵接力「這天最近台」 不排除再發海警
第九號颱風蘇拉暴風圈已經完全脫離恆春半島,中央氣象局...
2023/08/31 05:04
新/氣象局23:30解除蘇拉陸上警報
第九號颱風蘇拉暴風圈已經脫離恆春半島,中央氣象局週三...
2023/08/31 00:00
鴻雁颱風對台影響曝 專家:牽一髮動全身
中央氣象局今(30)日晚間指出,原位於關島東方海面的...
2023/08/30 22:31
日氣象廳海葵明轉強烈颱風 鴻雁24h內生成
強颱蘇拉預計今(30)晚最接近台灣南部,預計31日進...
2023/08/30 15:26
今年最高溫!苗栗「颱風沉降」飆40.5度
根據今(30)日14時最新資料,「蘇拉」颱風暴風圈目...
2023/08/30 15:13
新/蘇拉觸陸!準颱風「鴻雁」對台影響曝
根據今(30)日11時最新資料顯示,第9號颱風「蘇拉...
2023/08/30 11:44
新颱鴻雁最快今晚生成 預估「朝這裡走」
台灣附近的海面上,目前除了第9號颱風「蘇拉」、第11...
2023/08/30 10:18
還有颱風?第12號「鴻雁」最快這天生成
氣象局昨(28日)晚針對第9號颱風蘇拉發布海上颱風警...
2023/08/29 14:36
中央氣象局宣布 第25號颱風生成
日本氣象廳在今(18)日上午6點10分,將位於南沙島...
2017/11/18 08:43
最新圖輯
更多
劉書宏專訪
袁澧林、陳孝萱專訪
第36屆金曲獎星光大道
第36屆金曲獎得獎圖輯
NMIXX林口體育館粉絲演唱會
KISS OF LIFE台北演唱會
林芯儀專訪
GYUBIN大巨蛋開球
陳謙文專訪
孫麥傑專訪
今日頭條
1
普發1萬明登記!分流順序、領取方式秒懂
2
爆黃明志有15年女友!謝薇安批:渣中之王
3
會面未提台!美學者爆川普不想習近平1事
4
遭粿粿羞辱成媽寶男!范姜握裸體相擁鐵證
5
鳳凰颱風估明生成「恐非常偏近台灣東部」
6
陳偉殷開箱傳奇金卡 全台僅2人有
7
新/豬瘟拖24天收押豬農父子!裁定理由曝
8
謝侑芯連結黃明志撈金?她靠1事月入百萬
9
高雄夫妻騎車小孩「懸掛在外」網全看傻
10
2事衝擊釀三重情殺!陽光輔導長淪兇嫌亡
HOT焦點
更多
桃園城市影像培力坊 深化學員影像創作力
松山奉天宮主題曲!金曲歌王許富凱開唱
跨海來台圓「烘培夢」 童話翻糖獲獎無數
頻道推薦
直播✦活動
三立新聞網
為了提供更好的閱讀內容,我們使用相關網站技術來改善使用者體驗,也尊重用戶的隱私權,特別提出聲明。
了解最新隱私權聲明
知道了