APP下載
活動
爆料
圖輯
AI爆報
追蹤新聞
3
台灣彩券開獎直播中
三立iNEWS新聞台線上直播
LIVE三立+24小時直播
即時
非洲豬瘟侵台
輝達進駐台北
新聞
熱門
政治
社會
娛樂
生活
新奇
健康
國際
兩岸
運動
財經
房產
旅遊
科技
汽車
遊戲
ESG
影音
總覽
政論
節目
熱搜
直播
iNEWS
專題
總覽
特企
專頁
大事件
彩券
專欄
民調
快訊
金音獎雙料入圍 新科金曲歌王嗨曝心聲
06:51
今回暖逾30度!明下波東北季風襲剩1字頭
06:47
范姜彥豐公審粿粿、王子 律師嘆:沒好處
06:35
浪花兄弟睽違15年合體 周杰倫秒出手祝福
06:27
邱澤寵妻放閃 扛最帥奶爸被讚「神隊友」
06:25
邱澤許瑋甯婚禮倒數!11月底辦大事進度曝
06:21
大谷打擊孤立無援 G5前後2棒都換人救他
06:18
該裸辭還是撐3個月領年終?網一面倒選它
06:13
Fed降息卻釋鷹聲 台股開盤拚延續漲勢!
06:13
粿粿當小S面喊:不會出軌!星座專家打臉
06:09
范姜控友人幫隱瞞 王子節目中曾1句自爆
06:07
溺死2幼女竟期待出獄修復婚姻…醫嘆1句
06:04
川習會在即!川普政府棄台、保台拉鋸
06:01
獨/費玉清震撼宣布復出歌壇?孫情吐2句
06:00
獨/超大咖歌王是房產大亨!月收入超驚人
06:00
avantgardey中文喊一起嗨 突現蚵仔麵線
06:00
獨/孫情目睹高凌風一夜豪賭!狂輸800萬
06:00
以空襲加薩釀104死 川普否認停火破裂
05:47
爆范姜找徵信社!他曝線索:女方毫不尊重
05:39
川普1句「台灣就是台灣」 他:震撼北京
05:34
台灣彩券開獎直播中
20:31
台彩中秋加碼總獎金達4.5億
12:00
大樂透加碼100組100萬元
12:00
7-ELEVENX晶華酒店 新品上市!
17:00
首頁
關鍵字
雙眼牆
雙眼牆
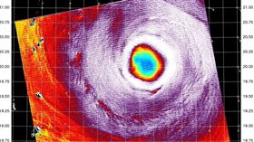
樺加沙外圍環流炸大台北!雨勢減緩還要等
今年第18號強烈颱風樺加沙,今(23)日2時的中心位...
2025/09/23 08:27
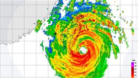
環流撞台灣!「康芮」眼牆置換失敗
強颱「康芮」昨(30)晚出現疑似雙眼牆跡象,若眼牆置...
2024/10/31 10:21
康芮風雨全台有感 專家:真不是鬧著玩的
康芮颱風向備受外界關注,氣象署持續發布海上、陸上警報...
2024/10/31 05:39
康芮強風圈「紫到發白」!驚人風場圖曝光
康芮颱風向備受外界關注,氣象署持續發布海上、陸上警報...
2024/10/31 04:54
康芮雙眼牆來了!破壞強風「會越來越強」
康芮颱風向備受外界關注,氣象署持續發布海上、陸上警報...
2024/10/31 04:27
康芮疑有雙眼牆! 置換成形強度恐再上升
颱風康芮直撲台灣,氣象署指出,晚間8時,康芮對流相對...
2024/10/30 21:58
卡努颱風雙眼牆 專家:目前達中颱上限
卡努颱風持續進逼!中央氣象局表示,中度颱風卡努2日1...
2023/08/02 12:43
杜蘇芮瞎混一天?專家:雙眼牆堪稱教科書
中颱杜蘇芮暴風圈持續籠罩半個台灣。氣象粉專「台灣颱風...
2023/07/28 08:31
杜蘇芮「雙眼牆」現蹤!南台入夜防強風雨
中颱杜蘇芮持續影響台灣,對此,三立氣象專家吳德榮表示...
2023/07/27 20:08
瑪娃沿東側北上防致災雨 全球路徑預測曝
今(29日)晨紅外線雲圖顯示,「瑪娃颱風」的大眼不再...
2023/05/29 07:20
瑪娃「外圍下沉乾區」近台 鄭明典曝範圍
今年地表最強颱風「瑪娃」目前正持續朝台灣方向前進,今...
2023/05/27 08:46
瑪娃雙眼牆「強度過顛峰」全球路徑預測曝
昨(26)日「瑪娃」最強時美國估160浬/時,氣象局...
2023/05/27 06:52
瑪娃現雙眼牆這天關鍵 暴風圈侵襲率66%
今年地表最強颱風「瑪娃」可見雙眼牆結構,其強度已過巔...
2023/05/27 06:40
軒嵐諾再現雙眼牆!中秋連假天氣出爐
颱風軒嵐諾目前往東海移動,過程中重新增強為強颱,結構...
2022/09/04 11:05
軒嵐諾驚見清晰雙眼牆 環流越來越大
第11號強烈颱風「軒嵐諾」目前以每小時25公里速度,...
2022/08/31 17:02
海神出現「雙眼牆」!強颱之姿襲日韓
今(6日)晨0:24微波頻道雲圖顯示,「海神之眼」已...
2020/09/06 06:25
驚人雙颱風眼!吳德榮:威脅不可小覷
強烈颱風利奇馬海陸警報都已經發布,陸上警報範圍再擴大...
2019/08/08 23:15
瑪莉亞雙眼牆進逼 東部吹38度焚風
隨著時間越晚,目前強颱瑪莉亞位置已在宜蘭的東方約 3...
2018/07/10 15:17
最新圖輯
更多
劉書宏專訪
袁澧林、陳孝萱專訪
第36屆金曲獎星光大道
第36屆金曲獎得獎圖輯
NMIXX林口體育館粉絲演唱會
KISS OF LIFE台北演唱會
林芯儀專訪
GYUBIN大巨蛋開球
陳謙文專訪
孫麥傑專訪
今日頭條
1
聯準會宣布降息一碼!今年第二度降息
2
爆范姜找徵信社!他曝線索:女方毫不尊重
3
川普1句「台灣就是台灣」 他:震撼北京
4
坣娜傳因胰臟癌病逝 在丈夫身旁安詳離開
5
范姜控友人幫隱瞞 王子節目中曾1句自爆
6
今回暖逾30度!明下波東北季風襲剩1字頭
7
邱澤許瑋甯婚禮倒數!11月底辦大事進度曝
8
一早5筆錢連發!199萬人領錢 1.9萬入帳
9
大谷打擊孤立無援 G5前後2棒都換人救他
10
溺死2幼女竟期待出獄修復婚姻…醫嘆1句
HOT焦點
更多
李威妻涉精舍殺人案…開庭這樣說
「AI信賴加速器」號召生態系夥伴百案落地
水庫光電板用「水」洗 水質監測符合標準
頻道推薦
直播✦活動
三立新聞網
為了提供更好的閱讀內容,我們使用相關網站技術來改善使用者體驗,也尊重用戶的隱私權,特別提出聲明。
了解最新隱私權聲明
知道了