APP下載
活動
爆料
圖輯
AI爆報
追蹤新聞
3
台灣彩券開獎直播中
三立iNEWS新聞台線上直播
LIVE三立+24小時直播
即時
陳光復重摔昏迷
高金遭搜索
新聞
熱門
政治
社會
娛樂
生活
新奇
健康
國際
兩岸
運動
財經
房產
旅遊
科技
汽車
遊戲
ESG
影音
總覽
政論
節目
熱搜
直播
iNEWS
專題
總覽
特企
專頁
大事件
彩券
專欄
民調
快訊
股市將慘變廢紙?富爸爸驚吐這場災難預言
03:00
對中猶豫未決 分析師:歐洲恐付更高代價
02:06
柏林論壇 裴洛西:孤立台灣將引全球災難
02:03
香港遊客北海道遇襲 港府提醒赴日安全
01:59
見古巴外長!普丁稱美國制裁「不可接受」
01:54
初四「迎灶神」 供品及祭拜方式一次搞懂
01:51
菲律賓網攻威脅升高 暗指中國背後支持
01:45
自民黨支持率重返3字頭 高市內閣聲勢漲
01:40
胞弟涉洩密艾普斯坦被捕 英王:依法辦理
01:37
中國湖南消防車墜崖 6名消防員喪命
01:33
新/中東戰雲!美股跳水 油價暴漲逾4%
01:19
獨/馬年投資 王春盛點名這4大主流
01:02
人機連結濫觴!電子雞從90年代紅至今30年
00:00
《超夜》音樂總監驟逝 澎恰恰悲痛發聲
23:23
林邊油漆工燒車站劫超商 屏檢聲押獲准
23:02
借錢不成「性侵2女」 印度3惡狼遭判死刑
22:52
德國迷你馬僅52cm 刷新紀錄成地表最萌馬
22:41
新/傳將與伊朗開戰 美股開盤4大指數全跌
22:40
吃完娘家宴…村長夫妻雙亡!縣府發文哀悼
22:37
擲筊大賽送300萬!第一名開走60萬轎車
22:29
台灣彩券開獎直播中
20:31
台彩春節加碼12億元創新高
12:00
大樂透加碼480組100萬元
12:00
大樂透加碼800組10萬元
12:00
初一金山財神廟湧人潮 聯名蛋捲禮盒喜氣
14:00
拜拜,其實很有台灣式幽默!
09:00
WE ARE我們的除夕夜 跨世代卡司陪觀眾
11:00
星城Online攜手《戲說台灣》拍創意單元劇
12:00
MY管管尾牙熱鬧登場 主打福利吸新戰力!
17:45
土城永福岩祖師廟擲筊賽 首獎祭百萬現金
14:50
春節最佳去處!桃園龍德宮成網美打卡點
13:00
以高回饋機制協助家庭資金更有效率運用
16:00
暗黑風格吸血鬼遊戲新作3/11上市!
12:00
幸福企業!愛妮雅集團成員工最強後盾
12:00
永旭保經留才 調整制度拚長期發展
11:30
首頁
關鍵字
玉兔颱風
玉兔颱風
啦啦隊冒大雨「台式應援」日媒:職人精神
世界12強棒球賽台灣睽違21年,再度晉級成棒等級賽事...
2024/11/20 09:49
濕冷掰掰!明各地回溫 好天氣到下週
受到東北季風及颱風外圍環流共伴效應影響,今(2)日白...
2018/11/02 21:08
豪雨強風!蘭嶼超商民生用品全被掃光
受到玉兔颱風外圍環流影響,蘭嶼最大風力達到14級,縣...
2018/11/01 21:18
共伴效應再發威!明東北部恐出現豪雨
受到玉兔颱風外圍環流以及東北季風的共伴效應影響,今(...
2018/11/01 21:11
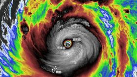
才重創菲律賓…玉兔將北轉「接近台」
玉兔颱風登陸呂宋島,重創當地,周四將向北迴轉,以目前...
2018/10/31 20:03
入秋以來最低溫!淡水今晨僅15度
受冷空氣南下影響,今(28)日清晨中部以北、宜蘭低溫...
2018/10/28 06:59
入秋最明顯降溫!低溫探16度至週一
今(27)日全台都是晴到多雲的好天氣,不過明天開始冷...
2018/10/27 21:05
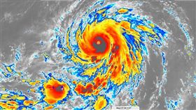
玉兔颱風襲北馬里亞納群島 一人喪生
超級颱風玉兔(Yutu)猛撲太平洋美國屬地北馬里亞納...
2018/10/26 07:45
專家:強烈颱風玉兔已達「傳說等級」
還是要留意一下玉兔颱風的動態!氣象局表示,第26號強...
2018/10/25 13:11
玉兔已成強颱!估下周日最接近台灣
今年第26號颱風「玉兔」,已在今(24)天上午8時快...
2018/10/24 11:20
玉兔變身暴力兔!專家:準備升格強颱
還是不要輕忽!氣象局今(24)天表示,第26號中度颱...
2018/10/24 09:10
專家:玉兔颱風不排除達強颱規模
還是要留意!氣象局表示,今(22)日清晨2時關島東南...
2018/10/22 13:39
最新圖輯
更多
初孟軒、鍾岳軒專訪
龍千玉與翁立友領豪記唱片群星拜年
Rain鄭智薰小巨蛋演唱會
金在中演唱會
羅志祥30周年演唱會
凱琳專訪
黃鐙輝、吳念軒、黃騰浩專訪
第62屆金馬獎得獎後台
第62屆金馬獎紅毯
劉書宏專訪
今日頭條
1
胞弟涉洩密艾普斯坦被捕 英王:依法辦理
2
2026全台燈會時間、地點、主燈亮點整理
3
初四北返車潮飆1.6倍 11條塞車地雷曝
4
雨先開炸最冷11度 初五起連4天熱飆31度
5
美媒爆習近平施壓川普 阻愛國者飛彈售台
6
濟州島驚現「神祕 666」雲系!鄭明典示警
7
獨/高檔月子中心出包!爆嬰兒腳圈戴錯人
8
彩券行狂開大獎 「狗來富」真刮出百萬
9
全球81款耳機含致癌物 專家:流汗毒滲入
10
GD喊「Lunar New Year」 小粉紅怒出征
HOT焦點
更多
科技人求財新招 拜喜年來蛋捲「捲財」
高齡照護陪伴升級 AI翻轉長照新日常
除夕WE ARE FLOW飆火影神曲與冰球共演
頻道推薦
直播✦活動
三立新聞網
為了提供更好的閱讀內容,我們使用相關網站技術來改善使用者體驗,也尊重用戶的隱私權,特別提出聲明。
了解最新隱私權聲明
知道了