APP下載
活動
爆料
圖輯
AI爆報
追蹤新聞
3
台灣彩券開獎直播中
三立iNEWS新聞台線上直播
LIVE三立+24小時直播
即時
黃明志捲命案
非洲豬瘟侵台
新聞
熱門
政治
社會
娛樂
生活
新奇
健康
國際
兩岸
運動
財經
房產
旅遊
科技
汽車
遊戲
ESG
影音
總覽
政論
節目
熱搜
直播
iNEWS
專題
總覽
特企
專頁
大事件
彩券
專欄
民調
快訊
金曲女星太辣了 透明薄紗炸出S型水蛇腰
08:10
粿粿喊男方軟爛!前經紀:范姜從不缺工作
08:01
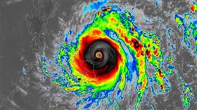
準鳳凰北轉率逐漸升高「不排除升級強颱」
08:00
綠營彰化縣長意外四搶一 地方更憂心一事
08:00
發錢囉!半導體ETF00891配息創新高
08:00
美國傳貨機墜毀!炸出巨大火光…死傷不明
07:59
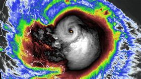
鳳凰將生成!AI預估「將爆發性增為強颱」
07:58
黃沐妍進《全明星3》曾與男團成員爆交往
07:51
謝侑芯全裸猝逝 生前曾遭家暴聲請保護令
07:45
AI泡沫焦慮!美股收黑 那指大跌486點
07:45
黃明志投案了!雪碧曝謝侑芯生前最後對話
07:37
爆反骨業配只拿10%孫生、酷炫兄弟變仇人
07:37
要原配幫小四做月子 精品大亨出軌理由渣
07:34
被爆分居遠離是非 歐弟舉家移居沖繩!
07:32
信義9億CEO48小時2度買毒…父發現已喪命
07:28
網紅4爆料揭內幕!稱握「粿王大尺度照」
07:28
王子遭喜鵲娛樂切割 被經紀公司封殺
07:25
投資人憂AI泡沫 費半崩逾3%日韓股齊跌!
07:22
投案畫面曝!黃明志「先自拍」再步入警局
07:20
看跌輝達和Palantir 大賣空狂人出手
07:15
台灣彩券開獎直播中
20:31
2025TCCF創意內容大會 南港展覽館開幕
08:00
搶票網路太慢?三款神器推薦趁雙11入手
17:30
旨味入魂!康寶【鮮味職人】雙口味全上市
17:00
2025高球長春公開賽 泰籍托馬倫衛冕冠軍
13:00
現代飲食必備!Prepara多元產品進軍全球
12:00
桃園市政府推動影像教育!
11:00
桃園城市影像培力坊 深化學員影像創作力
13:00
松山奉天宮主題曲!金曲歌王許富凱開唱
12:00
侯昌明 「桂格完膳」響應世界糖尿病日!
11:00
首頁
關鍵字
強颱
強颱
樺加沙挑戰風王!7地暴風圈侵襲率飆破6成
中央氣象署觀測,輕颱樺加沙19日20時中心位置在鵝鑾...
2025/09/20 05:28
樺加沙颱風估週日海警 專家曝風雨時程
西太平洋目前同時出現米塔、樺加沙和浣熊三個颱風,不過...
2025/09/20 05:21
颱風樺加沙來勢洶洶!高雄攤販憂風雨大
三颱共舞,小心樺加沙!氣象署表示,今日受米塔颱風外圍...
2025/09/19 20:58
樺加沙颱風急升級!恐轉為強颱
中央氣象署今(19)日表示,颱風「樺加沙」強度不斷增...
2025/09/19 17:58
樺加沙挑戰強颱!暴風圈恐籠罩台灣南端
米塔颱風、樺加沙颱風、浣熊颱風在昨(18)日接連生成...
2025/09/19 10:16
楊柳明恐變強颱!日本氣象廳最新預測出爐
中颱楊柳持續朝台灣逼近,中央氣象署預計今(12)日1...
2025/08/12 14:01
日本氣象廳估楊柳台東登陸:恐達強颱等級
今年第11號颱風楊柳今(12)日凌晨2時的中心位置在...
2025/08/12 08:33
「蝴蝶」估下週生成 美國預測威力達強颱
今年第一颱「蝴蝶」預估最快下週二就會生成,但是強度有...
2025/06/07 17:23
首颱醞釀中最新路徑曝!海警率高恐變強颱
中央氣象署發布2縣市高溫資訊,天氣高溫炎熱,今(7)...
2025/06/07 06:24
24號颱萬宜成「年度風王」超越山陀兒康芮
今年11月西太平洋出現罕見「四颱共舞」場面,打破歷史...
2024/11/16 22:00
萬宜轉強颱!威力達巔峰「挑戰今年風王」
輕颱「天兔」颱風已於今(16日)上午11時減弱為熱帶...
2024/11/16 16:30
天兔變強颱?鄭明典揭「海洋熱含量」現況
今年第25號颱風「天兔(USAGI)」今(14)日8...
2024/11/14 14:19
天兔發海警將挑戰強颱 2地區首當其衝
中央氣象署今(14)日05時30分針對天兔颱風發布海...
2024/11/14 06:26
天兔出現1現象恐登強颱門檻 3地風雨最猛
天兔已轉中颱,最快今(14)日發布海上颱風警報,民眾...
2024/11/14 05:47
天兔「針眼」出現!有望挑戰今年第6強颱
太平洋地區今(14)日依舊呈現3颱並存的情形,包括桔...
2024/11/14 04:08
銀杏升級強颱新路徑曝 2地區入夜炸雨彈
第22號颱風「銀杏」今(7)日下午升級為強烈颱風,也...
2024/11/07 16:14
全球暖化強颱猛 專家:台未來恐有大災情
氣象專家賈新興分析,康芮除了是有史以來最晚侵台的強烈...
2024/11/05 06:01
好消息!空勤今早尋獲南投4獵人 均平安
日前強颱「康芮」撲台,南投縣仁愛鄉有4位村民10月3...
2024/11/02 10:17
離岸風場挺過颱風 經部:風光能穩定供電
強颱康芮過境造成不少災情,經濟部今天表示,康芮10級...
2024/11/01 22:18
台中梨山3917戶仍停電 台電人員徒步搶修
強颱康芮肆虐,全台籠罩在狂風暴雨中,許多電線都被吹斷...
2024/11/01 12:10
南投增2校停班課 22縣市颱風假一覽
「康芮」颱風不僅是史上首個10月下旬登陸台灣的強颱,...
2024/10/31 22:58
不怕強颱 合歡山武嶺驚見騎士跑山
強烈颱風康芮從台東登陸,其暴風圈壟罩全台灣,造成各地...
2024/10/31 19:43
演唱會取消風波 網諷劉德華媚共
天王劉德華原訂今(31)日起在台北小巨蛋連唱四天,因...
2024/10/31 17:23
西部風雨將增強 肥厚雨帶籠罩3縣市
民眾關注強烈颱風「康芮」最新動態。天氣粉專「台灣颱風...
2024/10/31 17:06
強颱康芮登陸結構遭破壞 估傍晚減為中颱
氣象署表示,今天下午1時40分強颱康芮登陸台東縣成功...
2024/10/31 16:14
12級陣風灌雲林海線 警衛遭強風撲倒摔地
強颱康芮今(31)日下午13點40分登陸台東成功鎮,...
2024/10/31 16:04
強颱康芮創4紀錄!專家:最大顆侵台颱風
強颱康芮今(31)日下午13時40分登陸台東,目前暴...
2024/10/31 16:00
宜蘭大同2日累積雨量破千 前10重災區曝
強烈颱風「康芮」今(31)日午後登陸台灣,其七級風平...
2024/10/31 15:51
大溪漁港掀2層樓高巨浪倒灌 驚人景象曝
今年第21號颱風「康芮」於今(31)日13:40以強...
2024/10/31 14:49
明天再放一天?風雨預測恐停班課縣市曝
強颱康芮於今(31)日13時40分從台東成功鎮登陸,...
2024/10/31 14:35
«
‹
1
2
3
›
»
最新圖輯
更多
劉書宏專訪
袁澧林、陳孝萱專訪
第36屆金曲獎星光大道
第36屆金曲獎得獎圖輯
NMIXX林口體育館粉絲演唱會
KISS OF LIFE台北演唱會
林芯儀專訪
GYUBIN大巨蛋開球
陳謙文專訪
孫麥傑專訪
今日頭條
1
普發1萬登記3步驟!2尾數先 11類人等領錢
2
深夜發文投案 黃明志先在警局前自拍挨轟
3
準鳳凰北轉率逐漸升高「不排除升級強颱」
4
綠營彰化縣長意外四搶一 地方更憂心一事
5
王子二度道歉范姜 律師揭5細節:有誠意
6
謝侑芯最後對話曝!閨密控黃明志騙飛大馬
7
美國傳貨機墜毀!炸出巨大火光…死傷不明
8
信義雙屍驗6種毒品…疑混1物昏睡沒掙扎亡
9
小三迎進門再偷吃小四 精品大亨高調出軌
10
太子集團在台詐騙洗錢!人資女主管聲押
HOT焦點
更多
現代飲食必備!Prepara多元產品進軍全球
桃園市政府推動影像教育!
松山奉天宮主題曲!金曲歌王許富凱開唱
頻道推薦
直播✦活動
三立新聞網
為了提供更好的閱讀內容,我們使用相關網站技術來改善使用者體驗,也尊重用戶的隱私權,特別提出聲明。
了解最新隱私權聲明
知道了