APP下載
活動
爆料
圖輯
AI爆報
追蹤新聞
3
台灣彩券開獎直播中
三立iNEWS新聞台線上直播
LIVE三立+24小時直播
即時
黃明志捲命案
太子集團詐騙
新聞
熱門
政治
社會
娛樂
生活
新奇
健康
國際
兩岸
運動
財經
房產
旅遊
科技
汽車
遊戲
ESG
影音
總覽
政論
節目
熱搜
直播
iNEWS
專題
總覽
特企
專頁
大事件
彩券
專欄
民調
快訊
色男撿屍醉女!就算和解也不得緩刑
10:56
張芸京突吐「不知能活多久」!震撼粉絲
10:51
台中「3輪胎套燈桿」神操作!30年已救2命
10:50
鳳凰最新路徑 20縣市暴風圈侵襲機率破7成
10:49
韓外海中國籍漁船翻覆!2船員心跳停止
10:45
蕭美琴歐洲演說 台灣堅定向世界集體發聲
10:44
闖診間嗆醫缺錢…文曝「騙很大」急刪文
10:38
當首相沒專屬設計師!高市DIY剪染搞砸
10:36
美政府停擺衝擊 今又取消逾千架航班
10:34
「台韓金髮姐妹」合體 卉妮:我們都很I
10:31
民進黨曝好政策再+1 未來估320萬人受惠
10:30
鄭麗文追思共諜 矢板明夫看不下去開轟了
10:22
黃明志涉案恐遭鞭刑!專家曝痛到休克
10:22
鳳凰將登陸穿台!李四川:11月颱都不好惹
10:19
2026新北市長之爭!最新民調出爐這人居冠
10:19
蕭美琴驚喜現身歐洲演說 網讚:謝謝戰貓
10:16
鳳凰巨大但風場不均勻 鄭明典曬一圖示警
10:14
F4傳復出開唱獨缺朱孝天 相信音樂回應了
10:11
「快撐不下去了!」Andy曝崩潰逃離72小時
10:05
鄭麗文追思共諜!李明哲:推動台灣澳門化
10:04
台灣彩券開獎直播中
20:31
文策院共同投資影視製作 強化台灣創作力
17:00
2025 TCCF圓滿落幕!破萬人參與創下新高
17:00
台中第三季預售王 3案竟包辦全市2成銷量
17:00
空姐「制服救星」熱銷200萬盒成高空新寵
12:30
離島醫療後送升級 噴射機後送爭分奪秒
21:00
近視矯正新科技網紅醫師談EVO ICL
15:00
中信房屋公益月 8場捐血活動傳遞生命希望
10:00
TCCF「集集」旅程啟航 臺韓共創浪漫劇
16:00
最愛小孩!「紗布衣、小橘帽」與孩童結緣
16:00
三高患者健康危機!流感、帶狀疱疹預防
12:00
外送員該是承攬還雇傭?她籲四方都要贏
18:57
首頁
關鍵字
AI模式
AI模式
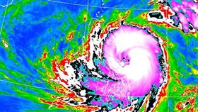
鳳凰攔腰斷頭颱明恐海警!13日這縣市出海
第26號颱風「鳳凰」升格成中度颱風,未來有機會轉強颱...
2025/11/09 06:12
鳳凰拚強颱達巔峰!穿心颱這時暴風圈觸陸
鳳凰颱風升格成中度颱風,未來有機會轉強颱,過去6小時...
2025/11/09 05:13
山陀兒颱風估週三入夜登陸!7大AI路徑曝
強颱「山陀兒」移動速度緩慢,氣象粉專指出,7家AI模...
2024/10/01 14:52
最新圖輯
更多
劉書宏專訪
袁澧林、陳孝萱專訪
第36屆金曲獎星光大道
第36屆金曲獎得獎圖輯
NMIXX林口體育館粉絲演唱會
KISS OF LIFE台北演唱會
林芯儀專訪
GYUBIN大巨蛋開球
陳謙文專訪
孫麥傑專訪
今日頭條
1
鳳凰最新路徑 20縣市暴風圈侵襲機率破7成
2
蕭美琴演說、蔡英文訪歐 賴清德發聲了
3
韓外海中國籍漁船翻覆!2船員心跳停止
4
「台灣國際處境很多不公」蕭美琴:不退縮
5
幕後/我副元首前進歐洲 中共圍堵始末曝
6
台中BMW女喝茫!酒駕連撞3車又衝闖人行道
7
路跑同場吳怡農!蔣萬安被問2026這樣說
8
鳳凰巨大但風場不均勻 鄭明典曬一圖示警
9
吳亦凡驚傳獄中身亡!官方沉默惹猜疑
10
美政府停擺衝擊 今又取消逾千架航班
HOT焦點
更多
2025 TCCF圓滿落幕!破萬人參與創下新高
拚經濟復甦傳產!林岱樺高雄打造護國產業
管碧玲接見駐聯合國常任代表 促區域合作
頻道推薦
直播✦活動
三立新聞網
為了提供更好的閱讀內容,我們使用相關網站技術來改善使用者體驗,也尊重用戶的隱私權,特別提出聲明。
了解最新隱私權聲明
知道了