APP下載
活動
爆料
圖輯
阿立導讀
追蹤新聞
6
卓榮泰立院報告並備詢
蕭美琴出席地球解方年會開幕式
大甲媽祖遶境DAY4
台灣彩券開獎直播中
三立iNEWS新聞台線上直播
LIVE三立+24小時直播
即時
台灣瘋媽祖
美伊停火
新聞
熱門
政治
社會
娛樂
生活
新奇
健康
國際
兩岸
運動
財經
房產
旅遊
科技
汽車
遊戲
ESG
影音
總覽
政論
節目
熱搜
直播
iNEWS
專題
總覽
特企
專頁
大事件
彩券
專欄
民調
快訊
蘋果邁入3.0 庫克掌15年締造市值暴增
10:18
川普退還5.2兆關稅!「1程序」正式上路
10:17
全日空、日航燃油費調漲!新制這天上路
10:15
台中統一物流中心全面燃燒!損失恐破百萬
10:09
清淡飲食仍高血脂?「元兇」曝:每餐都有
10:08
拋要求蔣萬安驗DNA!他擬選台北市長
10:08
新/黑白切少東遭榔頭斷筋 丟包男收押
10:07
持刀闖總統府喊「殺共諜賴清德」起訴
10:06
新/日本自衛隊訓練彈藥爆炸!多人受傷
10:03
獨/張孝全罕帶「正宮」現身捧林依晨場
09:59
羽田機場系統當機!航班誤點逾5千人遭殃
09:58
拖吊車違規卻罰「它」警認疏失將行政懲處
09:57
中國航艦遼寧號航經台海!顧立雄曝應對
09:56
李貞秀全面開戰藍白!他:掀開遮羞布
09:56
在野黨要大砍媒宣及監院預算 卓揆說話了
09:54
鋒面週四報到「全台有雷雨」!降雨時程曝
09:54
旅居日遇7.7強震 視網膜愛犬1反應笑翻網
09:54
日氣象廳:未來一週規模8地震機率增10倍
09:50
商總挺惠台10政策以商逼政?邱垂正這樣說
09:50
詐乾1500萬逼死1家5口!女魔頭求交保吞敗
09:48
台灣彩券開獎直播中
20:31
大甲媽祖遶境DAY4
08:20
蕭美琴出席地球解方年會開幕式
09:30
卓榮泰立院報告並備詢
09:30
星城Online祈福相伴 好運紅包錦囊超吸睛
13:00
臺東女路走讀山海 私房菜說生命故事
12:00
嬰幼兒呼吸道殺手!醫曝RSV預防新里程
10:30
面試找到歸屬感 李唐成為中信傑出經紀人
12:00
五月雪美不勝收 桃園桐花祭13處賞桐秘境
21:00
進香免煩漏!來復易讓長輩不怕找廁所
18:30
台灣狼現身白沙屯進香!送出限量結緣商品
18:00
護理師變房仲菁英 中信房屋黃盺妮勇跨界
12:00
酷澎跨境入手BP聯名 還有PS5星空
11:00
首頁
關鍵字
中央山脈
中央山脈
揭F-16神秘莢艙 他:共機一起飛就能鎖定
中共解放軍東部戰區「正義使命-2025」軍演落幕,雖...
2026/01/01 17:25
鳳凰將面臨最後一擊?一票嘆:雙北放假0%
曾經是中颱上限的鳳凰颱風,在襲擊菲律賓並接近台灣後,...
2025/11/11 14:37
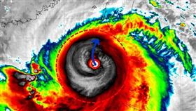
鳳凰路徑閃過中央山脈 網哀:天佑台灣
鳳凰颱風今(10)日8時的中心位置在北緯17.0度,...
2025/11/10 12:27
護國神山好威!強大怪物鳳凰登陸前恐減弱
根據中央氣象署,編號第26號的颱風鳳凰,已經轉為中度...
2025/11/08 08:04
遺落深山80年!美軍機墜毀機槍被運下山
民國34年二戰結束,一架載運戰俘的美軍轟炸機墜毀台灣...
2025/09/10 15:27
沖繩與那國島肉眼見台灣!網嗨:比想像大
日本最西端、位在沖繩的與那國島,距離台灣只有111公...
2025/09/01 10:10
中央山脈發威 楊柳登陸「被斬成兩半」
中度颱風「楊柳」於今(13)日13時00分左右登陸台...
2025/08/13 18:28
楊柳颱風將對決中央山脈?它特寫真面目曝
楊柳颱風持續朝著台灣前進,中央氣象署今(12)日下午...
2025/08/12 16:47
楊柳颱風將「自由過山」!一圖看風雨時程
做好防颱工作!楊柳颱風即將侵襲台灣,氣象粉專「天氣風...
2025/08/12 16:43
沒完沒了!未來3天「1地」雨量上看千毫米
今(2)日西南風再度增強,天氣相當不穩定,易出現短延...
2025/08/02 08:55
中央山脈攔截水氣 粉專:大雨要下到這天
今(31)日白天開始西南氣流減弱,降雨稍減少,但西南...
2025/07/31 10:26
薇帕雨彈甩4縣市 花東一天炸400毫米紫爆
雖然薇帕颱風的海警已解除,但外圍環流影響仍在,氣象署...
2025/07/20 06:32
颱風釀逾71萬戶停電 台電萬人次全力搶修
丹娜絲颱風是120年來第一個在嘉義登陸的颱風,少了「...
2025/07/07 19:06
丹娜絲減弱為輕颱 中心6時已在桃竹出海
中度颱風丹娜絲於6日晚間11時40分從嘉義布袋登陸台...
2025/07/07 06:26
不想活了?丹娜絲直撞中央山脈3地風雨襲
中颱丹娜絲已於6日晚間11時40分登陸嘉義布袋,是1...
2025/07/07 05:09
中央山脈還沒發力 天兔提早減弱原因曝
中央氣象署今(14)日傍晚發布海上陸上颱風警報,預估...
2024/11/14 19:37
赴蘭嶼勘災!卓揆:賴說政府要是中央山脈
康芮颱風造成全台各地傳出災情,總統賴清德、副總統蕭美...
2024/11/02 12:50
康芮襲台全紀錄 撞中央山脈瞎眼灰飛煙滅
康芮颱風撲台,造成全台各地大小災情。中央氣象署今(1...
2024/11/01 21:51
康芮驚現颱風副中心 鄭明典:正在發展中
康芮颱風雖已從強烈颱風減弱為中度颱風,但隨著颱風中心...
2024/10/31 18:50
跟颱風天沒兩樣!全台6地區當心致災雨
受東北季風、潭美外圍環流及雪山中央山脈地形阻擋影響,...
2024/10/24 04:30
山陀兒死在台上空?他曬圖:明天上班上課
颱風「山陀兒」今(3日)中午登陸高雄小港,氣象署表示...
2024/10/03 19:00
山陀兒為何快速減弱?為保強度出1招失敗
山陀兒在台灣西南方外海打轉超過24小時,預估今(3)...
2024/10/03 07:14
中央山脈斬颱刀!山陀兒估這時登陸馬上掛
山陀兒路徑詭譎,根據中央氣象署3日凌晨4時觀測,中心...
2024/10/03 05:09
山陀兒估斜切台!專家:碰護國神山須屈服
山陀兒已在今晨轉為強颱,約明(2)日中午前後便會登陸...
2024/10/01 16:37
iPhone內建APP超強 可觀察颱風動向、降雨
颱風「山陀兒」升格為強颱,不僅來勢洶洶,路徑更相當多...
2024/10/01 12:09
護國神山發威!雨勢圖見「颱風假分水嶺」
受到「山陀兒」颱風及東北季風影響,北部及東半部今(2...
2024/09/29 16:56
山陀兒恐從西部登陸 7預測路徑一次看
今年第18號颱風「山陀兒」已於(28)日生成,根據中...
2024/09/28 08:35
3登山客爬中央山脈失聯10天 不幸皆罹難
凱米颱風襲台前夕,有3名登山客自台東縣進入中央山脈南...
2024/07/31 20:17
凱米轉圈後登陸 粉專:中央山脈神奇力量
凱米颱風今天凌晨0時在宜蘭南澳登陸,不久後減弱為中度...
2024/07/25 06:01
「凱米」對決護國神山!預計3小時有結果
強烈颱風「凱米」侵台,中央氣象署預計從24日深夜起到...
2024/07/24 18:32
最新圖輯
更多
劉冠廷專訪
林予晞、王真琳專訪
李雪、陳昱廷專訪
初孟軒、鍾岳軒專訪
龍千玉與翁立友領豪記唱片群星拜年
Rain鄭智薰小巨蛋演唱會
金在中演唱會
羅志祥30周年演唱會
凱琳專訪
黃鐙輝、吳念軒、黃騰浩專訪
今日頭條
1
替小弟討7萬結怨 斷筋黑白切少東正面曝
2
辣椒水分局長遭拔官!內政部:尊重懲處
3
蕭旭岑又爆「有人長年A錢、取回扣」
4
日氣象廳:未來一週規模8地震機率增10倍
5
連長罵混血役男死日本鬼子 顧立雄怒了
6
羽田機場系統當機!航班誤點逾5千人遭殃
7
遭控行政不中立!童子瑋:忘了我是議長?
8
強聖嬰機率增!專家:颱風強度恐更驚人
9
被Nono害慘 朱海君牽「護花使者」引揣測
10
魏哲家評「造晶圓無捷徑」馬斯克回應了!
HOT焦點
更多
台灣狼現身白沙屯進香!送出限量結緣商品
酷澎跨境入手BP聯名 還有PS5星空
全障運在新北 開箱「賽會有服務」亮點
頻道推薦
直播✦活動
三立新聞網
為了提供更好的閱讀內容,我們使用相關網站技術來改善使用者體驗,也尊重用戶的隱私權,特別提出聲明。
了解最新隱私權聲明
知道了