APP下載
活動
爆料
圖輯
AI爆報
追蹤新聞
3
台灣彩券開獎直播中
三立iNEWS新聞台線上直播
LIVE三立+24小時直播
即時
黃明志捲命案
太子集團詐騙
新聞
熱門
政治
社會
娛樂
生活
新奇
健康
國際
兩岸
運動
財經
房產
旅遊
科技
汽車
遊戲
ESG
影音
總覽
政論
節目
熱搜
直播
iNEWS
專題
總覽
特企
專頁
大事件
彩券
專欄
民調
快訊
2具飛行傘空中纏繞秒墜山林 業者回應了
21:43
謝侑芯閨密赴大馬遭酸「蹭熱度」怒反擊!
21:41
當車手遭逮 嬤帶身障孫求法官:我養7個
21:39
液體黃金!杜拜咖啡1杯3萬 刷新世界紀錄
21:33
國訓成立49年「首場家庭日」選手家人同樂
21:25
高錦瑋克羅馬合轟50分 雲豹主場收4連勝
21:15
馬斯克想蓋晶圓廠!黃仁勳曝1句:不可能
21:13
UFO盤旋火山口 專家:跨維度大門開啟
21:11
輸36分隊史第2慘 吳永仁:無關技術問題
21:09
台積電特製鞋曝光!魏哲家喊這時間會開賣
21:08
郭富城唱到一半突然催婚!罕聊三寶爸心情
21:08
背負樂天精神交手 金鷲台將登場不敵桃猿
21:02
陪同蕭美琴訪歐!林佳龍:任務順利完成
20:53
獨/南珉貞帶傷應援 李晧禎爆:她腳黑的
20:50
曾沛慈唱到一半太激動!求冷靜一下手發抖
20:41
蕭美琴歐洲議會IPAC演說 藍白也肯定
20:33
ARKis人氣爆發!現身旅展開唱粉絲擠爆
20:31
半獸人臨時離隊 谷毛點洋將1打3贏球關鍵
20:30
名單外洩!韓星IG誤傳啪啪價目表警方介入
20:24
7亡者家屬淚控:ChatGPT成「輕生指導員」
20:19
台灣彩券開獎直播中
20:31
文策院共同投資影視製作 強化台灣創作力
17:00
2025 TCCF圓滿落幕!破萬人參與創下新高
17:00
台中第三季預售王 3案竟包辦全市2成銷量
17:00
空姐「制服救星」熱銷200萬盒成高空新寵
12:30
離島醫療後送升級 噴射機後送爭分奪秒
21:00
近視矯正新科技網紅醫師談EVO ICL
15:00
中信房屋公益月 8場捐血活動傳遞生命希望
10:00
TCCF「集集」旅程啟航 臺韓共創浪漫劇
16:00
最愛小孩!「紗布衣、小橘帽」與孩童結緣
16:00
三高患者健康危機!流感、帶狀疱疹預防
12:00
外送員該是承攬還雇傭?她籲四方都要贏
18:57
首頁
關鍵字
熱氣球
熱氣球
李心潔+兩大男團 嗨出發吧來台東卡司曝
「嗨!出發吧來台東」演唱會將於9月13、14日在台東...
2025/08/27 12:26
周湯豪台東開唱 不藏了「公開私房景點」
「嗨!出發吧來台東」演唱會9月13、14日於台東市國...
2025/08/21 11:32
統一陽光登場台東熱氣球嘉年華!
每年夏季吸引大批人潮的台東國際熱氣球嘉年華,今年增添...
2025/08/14 19:00
丁噹「台東小巨蛋」飆歌 2萬人朝聖嗨翻
「全民情歌天后」丁噹日前前往台東熱氣球嘉年華壓軸演出...
2025/08/11 19:06
告五人熱氣球升空怕爆 再被拱竟推他上陣
人氣樂團「告五人」宜蘭演唱會才落幕,馬不停蹄前往台東...
2025/08/05 20:36
臺灣國際熱氣球嘉年華加碼追球 週二停休
今年的「臺灣國際熱氣球嘉年華」從7月5日開幕以來熱度...
2025/07/30 16:00
2025臺灣國際熱氣球嘉年華 終於等到你!
2025臺灣國際熱氣球嘉年華於7月17日晚間熱力登場...
2025/07/18 14:00
巴西南部熱氣球墜毀 至少8人喪命
巴西南部聖卡塔里納州(Santa Catarina)...
2025/06/21 22:53
獨/驚悚瞬間!熱氣球繩索「斷一根」
日前有台灣旅客到日本北海道體驗熱氣球活動,怎料一行人...
2025/06/07 07:33
張惠妹演唱會上開直播!陳瑩道歉了
藝人張惠妹(阿妹)昨(29日)在台北大巨蛋舉辦第4場...
2024/12/30 10:53
獨/12年前就幫阿妹造熱氣球!赴日學技術
還記得12年前,天后張惠妹在高雄世運舉辦演唱會,當時...
2024/12/26 17:13
獨/張惠妹大巨蛋熱氣球他做的!台灣之光
天后張惠妹年底進軍大巨蛋展開《ASMR Maxxx ...
2024/12/26 17:11
張惠妹熱氣球怎麼升空?男友5字解答甜翻
天后張惠妹(阿妹)舉行「ASMR MAX世界巡迴演唱...
2024/12/24 15:24
阿妹把台東名產運到大巨蛋!全場嗨翻搶拍
「流行樂之后」張惠妹(aMEI)首攻大巨蛋佳評如潮,...
2024/12/22 20:43
張惠妹飛2樓開唱 搭熱氣球6分鐘燒750萬
天后aMEI張惠妹21日起,在台北大巨蛋開唱,除了歌...
2024/12/22 06:30
吳克群助台東弱勢 饒慶鈴力邀再搭熱氣球
台東拚觀光,上週末舉辦「嗨出發吧,來台東」演唱會,巨...
2024/11/18 21:00
台南「濱海韶光季」熱氣球光雕震撼漁港!
台南旅遊新活動登場!「2024濱海韶光季」邀請民眾前...
2024/09/02 14:20
炎亞綸表情僵硬吐真相 台東克服心魔
炎亞綸昨天現身台東,陪小學生打非洲鼓,今早還克服懼高...
2024/07/30 16:16
獨/張翰移居台東迎熱氣球!招認有懼高症
50歲男星張翰和女星林利霏在2016年結婚,婚後育有...
2024/07/09 00:03
熱氣球嘉年華登場!全聯抽瑞穗天合住宿
台灣國際熱氣球嘉年華於今(6)日至8月19日在台東鹿...
2024/07/06 17:38
不只熱氣球!凱馬克利地下城體驗蟻穴生活
一提到土耳其「卡帕多奇亞(Kapadokya)」,腦...
2024/06/10 12:04
卡帕多奇亞搭熱氣球!有錢更要有旅遊運?
全世界很多地方都能搭到熱氣球,為何那麼多人獨鍾卡帕多...
2024/05/28 12:46
貪玩「炮炸」熱氣球升空 15屁孩險上西天
人不輕狂枉少年,印尼東爪哇省波諾羅戈(Ponorog...
2024/05/15 17:58
熱氣球搭到一半他墜地慘亡 遊客目睹嚇壞
澳洲墨爾本近日發生一起恐怖命案,一名乘客18日搭乘熱...
2024/03/21 05:20
田馥甄打臉自己 曬美照揭人生重大突破
Hebe田馥甄今年工作行程依舊滿檔,更完成五場《一一...
2023/12/26 10:52
才剛破世界紀錄 104歲跳傘嬤睡夢中過世
美國一位超勇的104歲阿嬤,1日完成跟教練雙人跳傘,...
2023/10/11 14:01
「臺北熊讚」在法國與數百顆熱氣球齊飛
為推展北市觀光及城市形象,「臺北熊讚熱氣球」今年夏天...
2023/07/31 18:00
杜蘇芮逼近!全台交通航線、活動異動一覽
颱風「杜蘇芮」持續接近,中央氣象局昨(24)晚已發布...
2023/07/25 14:16
台東熱氣球嘉年華吸睛!天未亮售票區爆滿
台東熱氣球嘉年華,今(1)日迎來活動第2日,此次總共...
2023/07/01 16:37
快閃熱氣球嘉年華 張善政展開跨縣市行銷
台灣國際熱氣球嘉年華在台東鹿野高台正式開幕,台東特別...
2023/07/01 14:00
最新圖輯
更多
劉書宏專訪
袁澧林、陳孝萱專訪
第36屆金曲獎星光大道
第36屆金曲獎得獎圖輯
NMIXX林口體育館粉絲演唱會
KISS OF LIFE台北演唱會
林芯儀專訪
GYUBIN大巨蛋開球
陳謙文專訪
孫麥傑專訪
今日頭條
1
范雲還原蕭美琴演說現場!曝保密背後原因
2
台中男被砍傷下腹!「臟器外露」送醫
3
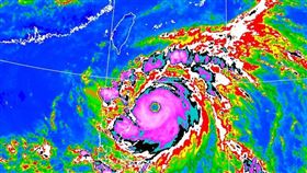
鳳凰颱風恐變「風王」?巔峰強度曝光
4
大肥鼠忘情狂嗑米腸 鹹酥雞業者回應了
5
鄭麗文喊沒提吳石!現場抓包列「烈士」
6
鳳凰將登陸 下週停班課?北市府回應了
7
國3追撞「車頭掛雙屍」 檢相驗結果出爐
8
守住豬瘟疫情最大功臣 現身還原關鍵瞬間
9
川普擴大移民健審 患慢性病、太胖恐遭拒
10
ITF旅展「百萬刷手」狂現身 加碼活動曝
HOT焦點
更多
2025TCCF 各縣市協拍中心邀影視夥伴合作
三顧生醫再生科技突破 細胞根源修復肌膚
台灣大哥大第18度榮獲「天下永續公民獎」
頻道推薦
直播✦活動
三立新聞網
為了提供更好的閱讀內容,我們使用相關網站技術來改善使用者體驗,也尊重用戶的隱私權,特別提出聲明。
了解最新隱私權聲明
知道了