APP下載
活動
爆料
圖輯
AI爆報
追蹤新聞
3
台灣彩券開獎直播中
三立iNEWS新聞台線上直播
LIVE三立+24小時直播
即時
對等關稅違憲
賈永婕嗆蔣
新聞
熱門
政治
社會
娛樂
生活
新奇
健康
國際
兩岸
運動
財經
房產
旅遊
科技
汽車
遊戲
ESG
影音
總覽
政論
節目
熱搜
直播
iNEWS
專題
總覽
特企
專頁
大事件
彩券
專欄
民調
快訊
藍營軍購案爆內鬨 王定宇揭殘酷真相
00:06
驚人大火染橘夜空 新北屋主淡定:不用查
00:04
新/火吞宜蘭房!屋主逃出後驚見碳化焦屍
23:42
和軟銀攻擊落差不大 曾豪駒點台灣輸這點
23:38
新/自強號行駛中⋯他突闖平交道遭撞慘死
23:24
徐若熙自評軟銀初登板 一軍出賽取決這點
23:04
黃季敏被判55年8月 北檢拘提發監
23:02
文總攜手嘉義縣打造台灣燈會 亮點一次看
23:01
24場F1大獎賽自動變色 這款智慧錶太狂
23:00
國家隊好票房 台灣對軟銀24988球迷進場
23:00
台鐵晚間驚傳事故!自強號疑撞行人
22:55
場邊欣賞前隊友飆火球 林凱威肯定徐若熙
22:50
費爾柴爾德今晚抵台 27日加入國家隊訓練
22:50
最好的一戰! 軟銀監督要日本小心徐若熙
22:44
日居酒屋拒收中國客 小粉紅氣炸喊硬闖
22:41
新/美股開盤!台積電ADR下跌1.02%
22:40
育兒減工時市府準備550萬?勞動局回應了
22:38
明轉濕涼「全台有雨」 強冷空氣下週報到
22:15
台鐵高鐵遭恐嚇殺人放炸彈 鐵警加強警戒
22:15
馬建豪腳傷下場將缺陣 圖奇大讚團隊勝利
22:08
台灣彩券開獎直播中
20:31
台彩春節加碼12億元創新高
12:00
大樂透加碼480組100萬元
12:00
大樂透加碼800組10萬元
12:00
祥獅獻瑞迎開工!愛妮雅集團新年藍圖首曝
17:00
瘦身急救章 一秒塑身穿上小號緊身洋裝
11:00
初九天公生 松山奉天宮備平安麵共享
16:00
捷運七張站走路2分鐘 友座明明德機能到位
15:00
開學換機酷澎火箭速配隔日到貨
10:00
企業暖心故事 一份工作撐起整個家
13:00
Xtars人氣直播主大揭密 鏡頭下的甘苦
13:00
土城永福岩清水祖師廟擲筊大賽 頭獎百萬
12:00
初一金山財神廟湧人潮 聯名蛋捲禮盒喜氣
11:00
首頁
關鍵字
解除
解除
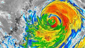
鳳凰警報解除 宜蘭東澳嶺總雨量逾千毫米
氣象署今晚8時30分解除鳳凰颱風警報,統計10日至今...
2025/11/12 23:16
新/柯文哲解除禁見 陳佩琪這樣說
民眾黨前主席柯文哲自1月3日至今已被羈押禁見近2個月...
2025/02/27 16:31
新/柯聲請解除禁見 柯媽哭著進北院
民眾黨前主席柯文哲自1月3日至今已被羈押禁見近2個月...
2025/02/27 14:30
柯文哲聲請解禁!下午開庭 上次為黨主席
民眾黨前主席柯文哲因京華城等案,自1月3日至今已被羈...
2025/02/27 07:01
突聲請解除禁止通信 北檢再提訊柯文哲
台北地檢署偵辦京華城弊案,19日下午提訊民眾黨黨主席...
2024/12/19 13:47
起訴前夕!柯文哲聲請「解除禁止通信」
民眾黨主席柯文哲涉及京華城弊案,遭到羈押至今,全案預...
2024/12/18 17:41
戒嚴結束? 南韓國防部:總統未宣布解除
南韓總統尹錫悅昨天(3日)晚間宣布戒嚴,使軍隊接管國...
2024/12/04 02:05
房市管制將解除 央行:網紅散播不實資訊
央行今(28)日表示,收到民眾檢舉,有網紅拍影片稱跟...
2024/11/28 22:52
山陀兒估明減弱!降雨熱區「轉移3區域」
今年編號第18號颱風「山陀兒(KRATHON)」今(...
2024/10/03 09:33
日本解除海嘯注意報 未傳災情或傷亡
日本氣象廳今日上午針對伊豆群島與小笠原群島發布「海嘯...
2024/09/24 13:00
友爆出家人解定存搶買ETF 他:熱度嚇人
外界關注國泰人壽對分紅保單的發行意願,國壽今(15)...
2024/03/15 22:33
日本政府解除豐田織機3車用引擎禁令
日本政府昨天解除豐田汽車旗下「豐田自動織機」(簡稱豐...
2024/02/28 17:37
Angelababy拚復出!操刀設計師發文吐辛酸
34歲中國女星Angelababy(楊穎)和張嘉倪因...
2024/02/22 11:44
小犬風雨越晚越大!最快解除海陸警時機曝
小犬颱風逼近台灣,截至今(4)日下午6點止,全台已有...
2023/10/04 18:49
專家示警北部風勢將增強!最快這時解陸警
受到今年第6號颱風卡努影響,台北市、新北市、基隆市及...
2023/08/03 08:01
杜蘇芮登陸福建 解除颱風警報時間曝光
台灣本島相繼脫離中颱杜蘇芮暴風圈,氣象局預計今天下午...
2023/07/28 17:32
口罩令最快11月解除!王必勝揭解封時程
COVID-19(2019冠狀病毒疾病)疫情逐漸趨緩...
2022/09/27 07:54
軒嵐諾發威!基隆2區缺水危機今解除
第11號颱風「軒嵐諾」來勢洶洶,氣象局今(3)日凌晨...
2022/09/03 18:14
美國確診上升 大眾運輸口罩令將延長
美國大眾運輸口罩令原訂18日解除,不過新型冠狀病毒O...
2022/04/14 09:28
蘇丹軍解除總理軟禁 政變落幕希望增
蘇丹軍方今日解除對總理哈姆杜克(Abdalla Ha...
2021/11/21 22:44
日本週四「全面解除」緊急事態宣言
新冠肺炎持續延燒,日本疫情在8月底達到高峰,單日確診...
2021/09/28 16:57
日本入境隔離少4天!前提必打3疫苗
日本政府27日宣布,10月1日起,入境者在接種完疫苗...
2021/09/28 11:04
日疫情嚴峻!當局:難如期解緊急事態
日本境內COVID-19(2019冠狀病毒疾病)疫情...
2021/08/29 23:05
日再擴大緊急宣言 菅義偉曝解除條件
因COVID-19疫情嚴峻,日本政府今天決定「緊急事...
2021/08/26 05:38
巫苡萱穿蕾絲露美胸 蜜臀頂在這辣爆
中華職棒樂天桃猿隊「Rakuten Girls」成員...
2021/07/23 19:49
英國解封慶自由!陳時中:實在很大膽
英國今(19)日凌晨解除大部分的防疫限制,倫敦夜店客...
2021/07/19 16:32
三級警戒微解封還延長?陳時中露口風
有媒體報導「三級警戒擬延長至712」一事,行政院發言...
2021/06/23 06:18
土耳其解禁餐廳用餐 民眾:出獄了!
土耳其2日開始分省逐步解除武漢肺炎防疫禁令。終於可以...
2021/03/03 13:43
對台限制解除 美駐WTO代辦拜會他
中華民國常駐世界貿易組織代表羅昌發2月11日在駐團辦...
2021/02/23 07:21
日延長緊急事態 疫情改善將提前解除
日本首相菅義偉今(2)日宣布,「緊急事態宣言」對象地...
2021/02/02 23:20
最新圖輯
更多
初孟軒、鍾岳軒專訪
龍千玉與翁立友領豪記唱片群星拜年
Rain鄭智薰小巨蛋演唱會
金在中演唱會
羅志祥30周年演唱會
凱琳專訪
黃鐙輝、吳念軒、黃騰浩專訪
第62屆金馬獎得獎後台
第62屆金馬獎紅毯
劉書宏專訪
今日頭條
1
新/火吞宜蘭房!屋主逃出後驚見碳化焦屍
2
台鐵高鐵遭恐嚇殺人放炸彈 鐵警加強警戒
3
農產輸美零關稅 賴清德曝台「特別豁免」
4
黃季敏被判55年8月 北檢拘提發監
5
徐若熙無情封鎖娘家 台灣僅敲2安遭完封
6
支持度43.7%首度逆轉李四川 蘇巧慧回應
7
盧秀燕二度訪美!3月中啟程 初步行程曝
8
58歲沈玉琳抗癌成功 3/4復工首現身
9
吳中純住院一個月逝世 吳母緊抱愛女痛哭
10
向華強千億家產交給郭碧婷 2兒子爭議曝
HOT焦點
更多
開學換機酷澎火箭速配隔日到貨
企業暖心故事 一份工作撐起整個家
初一金山財神廟湧人潮 聯名蛋捲禮盒喜氣
頻道推薦
直播✦活動
三立新聞網
為了提供更好的閱讀內容,我們使用相關網站技術來改善使用者體驗,也尊重用戶的隱私權,特別提出聲明。
了解最新隱私權聲明
知道了