APP下載
活動
爆料
圖輯
AI爆報
追蹤新聞
7
台中驗出非洲豬瘟 應變所說明
中共查辦沈伯洋 民進黨團譴責
非洲豬瘟侵台!立院關注檢疫
立院報告廚餘去化、防疫清消
台灣彩券開獎直播中
三立iNEWS新聞台線上直播
LIVE三立+24小時直播
即時
非洲豬瘟侵台
藝人閃兵案擴大
新聞
熱門
政治
社會
娛樂
生活
新奇
健康
國際
兩岸
運動
財經
房產
旅遊
科技
汽車
遊戲
ESG
影音
總覽
政論
節目
熱搜
直播
iNEWS
專題
總覽
特企
專頁
大事件
彩券
專欄
民調
快訊
醜聞重挫事業 男星嫖妓慘遭法院扣2.1億
09:47
三重客運司機抱老婦上車 藍委:駕駛超人
09:46
獨/直擊冷凍肉倉!200噸豬肉滿到天花板
09:41
寄8提款卡害22人被詐136萬 她1原因無罪
09:39
于朦朧唱《月朦朧鳥朦朧》粉絲不捨痛哭
09:39
韓國行是否會晤習近平?黃仁勳12字回應了
09:39
新/駕駛疑吃感冒藥晃神 休旅車衝進超商
09:39
保險業務「咬高層」假畢業證書!西裝肉搏
09:34
「川習會」談及台灣問題?蔡明彥這麼說
09:33
廟前「充血套弄」信徒嚇壞!褻瀆神下場曝
09:32
黃仁勳GTC!驚見揮國旗、台灣之光王建民
09:31
大谷滑切球失投變餵球 小葛世界大賽首轟
09:27
再見了「大姊」!壽山非洲獅…1原因身亡
09:26
今重陽節轉運好時機「5生肖」錢途閃耀
09:24
她砸千萬買翡翠被騙 賣家直播主竟是臨演
09:23
南港土石流百年老樹跟滑落…他:回不了家
09:23
苗栗街頭違停衝突 男持刀與水果攤商對峙
09:10
開盤/黃仁勳炸裂GTC!輝達台積電狂噴
09:08
川普訪南韓前一天!北韓發射巡弋飛彈
09:07
趙小僑曾說稱謂不重要 劉子銓改口喊媽
09:07
台灣彩券開獎直播中
20:31
台彩中秋加碼總獎金達4.5億
12:00
大樂透加碼100組100萬元
12:00
台中驗出非洲豬瘟 應變所說明
09:30
長輩備餐變吃力 快煮稀飯恐增營養風險
12:00
為何選他?基隆房市異軍突起!
12:00
首頁
關鍵字
颱風假
颱風假
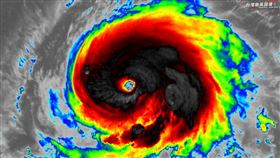
週一颱風假有望?樺加沙暴風圈侵襲率90%
颱風樺加沙(RAGASA)持續逼近中,暴風半徑也會擴...
2025/09/21 10:32
樺加沙今轉強颱估陸警範圍!颱風假關鍵曝
颱風樺加沙(RAGASA)持續逼近中,中央氣象署今(...
2025/09/21 10:10
樺加沙將升級強颱 今午後變天3地首當其衝
今年第18號中度颱風「樺加沙」持續逼近中,中央氣象署...
2025/09/21 09:14
樺加沙海警發布 首波「警戒範圍」曝
第18號颱風樺加沙持續逼近中,中央氣象署今(21)日...
2025/09/21 08:34
颱風假?樺加沙最新路徑曝 暴風侵襲85%
第19號颱風「浣熊」增強,轉為今年第一個強烈颱風,由...
2025/09/21 05:02
浣熊轉今年第1個強颱!小鋼炮恐怖雲圖曝
第19號颱風「浣熊」迅速增強,升級為今年第一個強烈颱...
2025/09/21 04:45
週一颱風假?樺加沙恐觸陸 5地侵襲率破6成
樺加沙颱風來勢洶洶,是否能放颱風假,漸漸成為關注焦點...
2025/09/20 17:09
樺加沙爆發性增強中!「1關鍵」離台越近
中央氣象署觀測,輕颱樺加沙19日20時中心位置在鵝鑾...
2025/09/20 06:21
全台難逃樺加沙風雨!這2天颱風假機會高
今年第18號颱風樺加沙(RAGASA)今(19)日2...
2025/09/19 07:52
樺加沙恐達中颱估21日海警 北部也受影響
台灣颱風論壇示警,米塔颱風外圍水氣正影響花東、南部及...
2025/09/18 19:54
下週有望颱風假?樺加沙逼近恐達中颱
米塔颱風於今(18)日下午2時正式生成,中央氣象署表...
2025/09/18 16:56
「這行業」最慘 颱風天出勤比例飆90%
每當有颱風來襲,民眾最關心風雨的嚴重程度,以及是否會...
2025/08/22 22:07
楊柳快閃陸警解除!今全台停班停課一覽
楊柳颱風快閃離台,中央氣象署指出,今(14)日清晨5...
2025/08/14 06:25
放颱風假被酸!她1句神反擊 主管閉嘴了
中度颱風楊柳來勢洶洶,今(13)日台灣不少縣市都放颱...
2025/08/13 18:48
新/台南連放2天颱風假?黃偉哲20時宣布
楊柳颱風直撲台灣,於今(13)日1時左右登陸台東太麻...
2025/08/13 18:46
楊柳颱風快閃3小時 16:00台南七股出海
中度颱風楊柳中心於今(13)日13時00分至13時1...
2025/08/13 16:17
沒颱風假 台北人無奈曝:辦公室死氣沉沉
中度颱風楊柳來襲,今(13)日北部正常上班上課、中部...
2025/08/13 16:11
楊柳快閃出海 明僅1縣市達停班課標準
中度颱風楊柳侵台!中央氣象署表示,颱風中心於今(13...
2025/08/13 16:05
嘉義以南豪雨灌到入夜 楊柳傍晚台南出海
中度颱風楊柳侵台!中央氣象署表示,颱風中心於今(13...
2025/08/13 15:06
不斷更新/楊柳撲台!全台停班課一次看
今年第11號颱風「楊柳」(Podul)海陸警均已發布...
2025/08/13 14:12
臨時放颱風假?北北基「下班時段風最強」
中央氣象署觀測資料顯示,中度颱風「楊柳」(Podul...
2025/08/13 14:02
楊柳登陸明天停班課?7縣市風雨預測達標
中度颱風楊柳已於今(13)日13時00分至13時10...
2025/08/13 13:48
楊柳13:00登陸台東 對決中央山脈
中度颱風楊柳侵台!中央氣象署表示,颱風中心於今(13...
2025/08/13 13:24
嘉義市放颱風假無風雨 網灌爆黃敏惠臉書
中度颱風「楊柳」(Podul)來勢洶洶,嘉義市長黃敏...
2025/08/13 12:35
近10年颱風假最多縣市曝光 第一名有31天
楊柳颱風持續朝逼近,已經來到台灣家門口,海陸警齊發,...
2025/08/13 11:05
颱風假一覽!南投1鄉、台中2地緊急停班課
今年第11號颱風「楊柳」正快速朝台灣前進,海陸警齊發...
2025/08/13 11:00
楊柳暴風圈已碰觸高雄陸地!陳其邁示警了
中度颱風「楊柳」(Podul)預計中午從台東一帶登陸...
2025/08/13 10:44
停班停課14縣市達標 新北、桃園風力上修
楊柳颱風預計今(13)日中午登陸台東,目前花東、恆春...
2025/08/13 10:14
台北9級強風直逼停班課標準?氣象署回應
楊柳颱風今(13)晨暴風圈已觸陸,預估今日中午前後就...
2025/08/13 09:07
放颱風假?最新風雨預測「13縣市」達標了
中央氣象署今(13)日針對中度颱風「楊柳」(Podu...
2025/08/13 08:30
«
‹
1
2
3
4
›
»
最新圖輯
更多
劉書宏專訪
袁澧林、陳孝萱專訪
第36屆金曲獎星光大道
第36屆金曲獎得獎圖輯
NMIXX林口體育館粉絲演唱會
KISS OF LIFE台北演唱會
林芯儀專訪
GYUBIN大巨蛋開球
陳謙文專訪
孫麥傑專訪
今日頭條
1
台中稽查養豬場僅5% 他轟:盧秀燕說謊
2
「北教大王力宏」吃12女!校長學生皆後宮
3
坤達6代言恐遭求償千萬 經紀人反應曝光
4
于朦朧爆慘死 「遺體被搬運」畫面疑曝光
5
黃仁勳GTC!驚見揮國旗、台灣之光王建民
6
新/川習會將登場 傳川普將調降對中關稅
7
狠心陸配溺死小姊妹…獨活上法庭懊悔1事
8
10年好友擦火花 9m88章廣辰約會遍布台北
9
踹傅崐萁桌遭告6罪!張峻:踹這一腳值得
10
今僅18.5度!3波冷空氣接力 轉濕冷時間曝
HOT焦點
更多
水庫光電板用「水」洗 水質監測符合標準
2025最乾淨的代謝神飲『拉蓓纖汁』
韓國到澳洲再到頭份 歐巴愛情美食奇遇記
頻道推薦
直播✦活動
三立新聞網
為了提供更好的閱讀內容,我們使用相關網站技術來改善使用者體驗,也尊重用戶的隱私權,特別提出聲明。
了解最新隱私權聲明
知道了