APP下載
活動
爆料
圖輯
AI爆報
追蹤新聞
4
徐若熙和軟銀來台打交流賽
台灣彩券開獎直播中
三立iNEWS新聞台線上直播
LIVE三立+24小時直播
即時
對等關稅違憲
賈永婕嗆蔣
新聞
熱門
政治
社會
娛樂
生活
新奇
健康
國際
兩岸
運動
財經
房產
旅遊
科技
汽車
遊戲
ESG
影音
總覽
政論
節目
熱搜
直播
iNEWS
專題
總覽
特企
專頁
大事件
彩券
專欄
民調
快訊
他嗆在野講不贏總統:傅崐萁被洗臉多少次
16:30
新/汽車自撞福和橋橋墩 駕駛昏迷送醫
16:30
震驚!前主播吳中純罹淋巴癌驟逝享年56歲
16:29
空瓦斯罐丟錯恐爆炸 消防員揭回收4步驟
16:27
重申兩條件 賴清德:一定赴立院國情報告
16:24
同事年後1舉動是離職前兆?大票人爆共鳴
16:22
破除疑川論!美方:川普1舉就是最強承諾
16:14
她脫男友褲見整排珍珠!醫:常被誤會菜花
16:13
電商心動女王節 曬不限物種照搶3萬8現金
16:13
2PM人夫+1 玉澤演4月娶圈外女友日期曝光
16:09
學測公佈 專家估醫學系:台大59級分有機會
16:03
全球破1億人抽電子煙 WHO:這族群高風險
16:03
蔣萬安推育兒減工時惹議 綠委:萬安警報
16:02
柯建銘卸任總召 賴清德感性致謝25年奉獻
15:59
減1小工時「市長帶頭?」蔣萬安回應了
15:58
路邊機車格多一圈黃線!交通局曝用途
15:52
台灣尚勇再現WBC? 3團長曝嗆司曲有驚喜
15:52
黃暐瀚:循李登輝模式,國情報告就能成形
15:45
築間16年來降價!再豪發2664萬回饋會員
15:42
韓國瑜示警擋軍購變綠國瑜?國民黨這樣說
15:41
台灣彩券開獎直播中
20:31
台彩春節加碼12億元創新高
12:00
大樂透加碼480組100萬元
12:00
大樂透加碼800組10萬元
12:00
徐若熙和軟銀來台打交流賽
16:01
初九天公生 松山奉天宮備平安麵共享
16:00
捷運七張站走路2分鐘 友座明明德機能到位
15:00
開學換機酷澎火箭速配隔日到貨
10:00
企業暖心故事 一份工作撐起整個家
13:00
Xtars人氣直播主大揭密 鏡頭下的甘苦
13:00
土城永福岩清水祖師廟擲筊大賽 頭獎百萬
12:00
初一金山財神廟湧人潮 聯名蛋捲禮盒喜氣
11:00
首頁
關鍵字
圓規颱風
圓規颱風
圓規吹垮瑞港公路 洗腎男困4天獲救
圓規颱風遠離之後,帶來的狂風驟雨仍然強襲整個東半部,...
2021/10/13 15:02
颱風太強停電停水 女星嘆只能接雨水
近日受到「圓規颱風」外圍環流影響,雖沒有直撲台灣,但...
2021/10/13 13:44
新/台東縣宣布:這2村明日停班停課
圓規颱風外圍環流影響台灣,昨(11)日東部地區出現明...
2021/10/12 17:55
街道淹水不停課 紀曉君怒轟台東政府
原住民歌后紀曉君與前夫郭岱詠育有一個女兒「小茉莉」,...
2021/10/12 17:28
「圓規」太強!男被吹落大圳遭沖走
圓規颱風雖沒有進入台灣本島,但帶起的大風大雨仍不容小...
2021/10/12 17:22
雨勢緩!1630解除大規模豪雨作業
中央氣象局於今(12)日上午9點啟動較大規模或較劇烈...
2021/10/12 16:07
吳慷仁颱風天放閃!釣出她親回11字
金鐘視帝吳慷仁去年大方認愛女星邵雨薇,不時低調放閃的...
2021/10/12 13:33
圓規環流甩雨!雨彈一路下到晚上8點
中央氣象局於一早8點30分解除「圓規」颱風海上颱風警...
2021/10/12 10:56
好市多補貨遇長髮正妹 竟是大咖女神
昨(11)日是雙十連假的最後一天,許多人把握最後假期...
2021/10/12 10:36
雨彈炸東台灣!9點啟動劇烈豪雨作業
中央氣象局於一早8點30分解除「圓規」颱風海上颱風警...
2021/10/12 09:25
吊掛畫面曝!屏東驚傳砂石車受困待援
圓規颱風肆虐,屏東縣經過12日一夜的風雨下來雖沒釀災...
2021/10/12 09:09
鄭明典:紅色回波連一線「狂風暴雨」
中央氣象局於一早8點30分解除「圓規」颱風海上颱風警...
2021/10/12 09:07
圓規漸遠離 曝今天需注意風雨的區域
還是要流意後續的風雨!氣象局表示,由於第18號圓規颱...
2021/10/12 08:44
大豪雨繼續炸 花蓮「一級淹水警戒」
受到「圓規」颱風影響,北部、東半部今(12)日降下豪...
2021/10/12 08:36
氣象局:圓規颱風8:30解除海警
受到「圓規」颱風影響,北部、東半部今(12)日降下豪...
2021/10/12 08:23
宜蘭暴雨沒停班課 林姿妙臉書遭灌爆
受到「圓規」颱風影響,北部、東半部降下豪雨,今(12...
2021/10/12 07:38
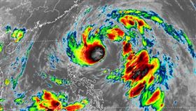
圓規颱風最新位置曝 這時間雨量最猛
昨(11)日23時40分,中央氣象局召開記者會,由資...
2021/10/12 00:14
防圓規釀災!高雄2路段預警性封閉
颱風圓規外圍環流恐帶來強降雨,引發土石泥流災害,高雄...
2021/10/11 19:04
防颱準備!蘇花路廊入夜恐預警封閉
交通部公路總局第四區養護工程處指出,因受颱風「圓規」...
2021/10/11 18:56
曝驚人數字:圓規影響最大時候還沒到
別掉以輕心!氣象局今(11)天下午表示,根據最新資料...
2021/10/11 15:57
圓規雨帶接近中!開工日停班課機率曝
「圓規」颱風外圍環流正在影響台灣,氣象局局長鄭明典臉...
2021/10/11 15:51
宜蘭清水地熱邊坡坍塌 今日停止入園
圓規颱風在10日晚間8時30分發布「海上颱風警報」,...
2021/10/11 11:51
狂風暴雨畫面曝 宜蘭人傻:根本強颱
圓規颱風在10日晚間8時30分發布「海上颱風警報」,...
2021/10/11 11:25
圓規襲台!鄭明典:三疊回波不太正常
「圓規」颱風結構持續整合中,不僅暴風圈變大,氣象局表...
2021/10/11 10:49
颱風假機率曝光 這區恐灌800毫米
圓規颱風在10日晚間8時30分發布「海上颱風警報」,...
2021/10/11 09:22
圓規雨彈高峰期曝 估開工日解除海警
千萬要慎防「圓規」颱風帶來的狂風暴雨!「圓規」颱風結...
2021/10/11 09:17
圓規全台風雨攻略 明天颱風假機率曝
國慶連假進入最後一天,但圓規颱風也要開始影響台灣!氣...
2021/10/11 08:32
風雨剛開始而已 圓規最強時間點曝光
圓規颱風在10日晚間8時30分發布「海上颱風警報」,...
2021/10/11 07:42
圓規颱風最新動態 各地降雨預測出爐
中央氣象局於10日晚間11時40分,召開線上記者會,...
2021/10/11 00:22
防豪雨!圓規海警發布 最新路徑出爐
今年第18號颱風「圓規」目前位置在鵝鑾鼻東南東方約7...
2021/10/10 21:10
最新圖輯
更多
初孟軒、鍾岳軒專訪
龍千玉與翁立友領豪記唱片群星拜年
Rain鄭智薰小巨蛋演唱會
金在中演唱會
羅志祥30周年演唱會
凱琳專訪
黃鐙輝、吳念軒、黃騰浩專訪
第62屆金馬獎得獎後台
第62屆金馬獎紅毯
劉書宏專訪
今日頭條
1
重申兩條件 賴清德:一定赴立院國情報告
2
傳鄭習會3/12登場 民進黨回應了
3
破除疑川論!美方:川普1舉就是最強承諾
4
蔣萬安推育兒減工時、補助工資 條件曝光
5
隱匿疫情被起訴!87歲豬農:要關到死嗎?
6
川普大暴走!砲轟民主黨怒飆「瘋了」
7
學測公佈 專家估醫學系:台大59級分有機會
8
勞工別再白繳錢!4職業工會欠錢黑名單曝
9
城隍爺發威 情侶刮中兩千萬
10
彭佳慧爆冷血切割 罹癌經紀人閨密說話了
HOT焦點
更多
土城永福岩清水祖師廟擲筊大賽 頭獎百萬
幸福升級!台東公立國中小午餐全面免費
捷運七張站走路2分鐘 友座明明德機能到位
頻道推薦
直播✦活動
三立新聞網
為了提供更好的閱讀內容,我們使用相關網站技術來改善使用者體驗,也尊重用戶的隱私權,特別提出聲明。
了解最新隱私權聲明
知道了