蘇拉颱風|最新颱風動態2023不斷更新|蘇拉颱風動態|最新颱風路徑|颱風快訊
海葵颱風
最新颱風動態|颱風快訊
氣象局颱風LIVE直播
三立準氣象
颱風討論區
蘇拉掰掰!14:30解除海警 海葵「接力」明海警
蘇拉海警今晚解除!海葵路徑西修恐擾北部 週五發海警
三颱共舞!「海葵」進逼東北方外海 「鴻雁」最新路徑曝光
最新颱風動態|颱風快訊
蘇拉陸警解除!海葵接力「這天最近台」 不排除再發海警
2023/08/31 05:04
第九號颱風蘇拉暴風圈已經完全脫離恆春半島,中央氣象局30日深夜11時30分解除蘇拉颱風陸上警報。原本位於關島東方海面的熱帶性低氣壓,週三晚間8時發展為第12號颱風「鴻雁」,預測將向北移動,短期內對台灣無直接影響。
快訊/氣象局23:30解除蘇拉陸上警報 12號颱風鴻雁生成了
2023/08/31 00:00
第九號颱風蘇拉暴風圈已經脫離恆春半島,中央氣象局週三(30日)深夜11時30分解除蘇拉颱風陸上警報。(記者:陳弋)
蘇拉往南邊跑!深夜解除陸警 沿海低窪地區慎防積淹水
2023/08/30 23:44
颱風蘇拉目前路徑往南修,路徑對台灣的影響減弱。晚間23時30分,中央氣象局發布最新颱風警報,透露暴風圈已脫離臺灣南端陸地,不過仍對臺灣海峽、巴士海峽及東沙島海面構成威脅。
鴻雁颱風形成「再次三咖督混戰」!專家曝對台灣影響:牽一髮動全身
2023/08/30 22:31
中央氣象局今(30)日晚間指出,原位於關島東方海面的熱帶性低氣壓,於20時發展為輕度颱風,編號第12號「鴻雁」颱風,預測向北移動。對此,氣象粉專「台灣颱風論壇|天氣特急」說明,鴻雁雖預計將走向日韓方向,但有可能會牽制海葵颱風,而海葵的走向,...
快訊/一個接一個!氣象局:第12號颱風「鴻雁」生成
2023/08/30 21:48
記者谷庭/台北報導中央氣象局晚間表示,原位於關島東方海面的熱帶性低氣壓,於今(30)日20時發展為輕度颱風,編號第12號鴻雁颱風,預測向北移動,短期對台灣無直接影響。
準氣象/蘇拉「雙眼牆」強度達顛峰!明雨區擴大 最快解除陸警時機曝光
2023/08/30 21:40
「蘇拉」颱風暴風圈侵台,中央氣象局預估今、明(30、31日)兩天會最接近台灣,而陸上警報何時才會解除呢?氣象專家吳德榮表示,目前蘇拉颱風已發展到最大強度,解除的最佳時機,需等到暴風圈脫離台灣南端。
蘇拉颱風最快深夜解除陸警!雨區擴大至彰化以南
2023/08/30 21:13
記者谷庭/台北報導中央氣象局說明強颱蘇拉最新動態,目前路徑往南修,且移動速度快,最快在今深夜或明清晨就除就可脫離陸上警戒範圍,解除陸上颱風警報,強度也會減弱也可能變為中度颱風。
不斷更新/颱風假掰了?全台停班停課一次看
2023/08/30 20:27
中央氣象局根據最新資料指出,第9號颱風「蘇拉」中心目前在鵝鑾鼻南南西方海面,向西北轉西北西移動,其暴風圈已接觸台灣南端陸地,對屏東及恆春半島構成威脅。全台關注明(31)日是否放颱風假,《三立新聞網》將為您即時更新停班課最新資訊。
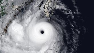
幸好閃過台灣!蘇拉暴風圈超厚實 「清晰颱風眼」照片曝光
2023/08/30 19:44
強颱蘇拉替恆春半島帶來強烈雨勢,氣象局指出,蘇拉接觸台灣陸地的時間大概是12小時左右,預計今(30)日深夜至明(31)日清晨就會脫離,陸上警報最快有機會在今晚11時30分解除,海上警報可能在週五(9月1日)清晨解除。氣象達人彭啟明就在臉書曬...
強颱蘇拉進入南海 迎「一生的強度巔峰」!
2023/08/30 19:37
強烈颱風蘇拉掠過巴士海峽,造成台南、高雄、屏東等地出現劇烈風雨,氣象局預估最快今(30)日深夜、最晚明日晚間前解除陸上與海上颱風警報。隨著蘇拉進入南海,氣象專家指出,「現在迎來她一生的強度巔峰」,同時輕度颱風海葵也在持續增強中。
‹
2
3
4
›
氣象局颱風LIVE直播
蘇拉掰掰!14:30解除海警 海葵「接力」明海警
蘇拉海警今晚解除!海葵路徑西修恐擾北部 週五發海警
三颱共舞!「海葵」進逼東北方外海 「鴻雁」最新路徑曝光
深夜有望解除蘇拉陸警 週四東南部、屏東山區仍有大雨
氣象局估深夜解除蘇拉陸警 海葵、「準鴻雁」路徑受矚
12號颱「鴻雁」明生成!海葵影響北部?氣象局說明週末天氣
深夜可望解除蘇拉陸警 12號颱「鴻雁」最快明生成
蘇拉進逼南台灣!SETN帶您掌握「風浪熱區」即時影像
蘇拉颱風眼好大!氣象局估暴風圈午後觸陸
中颱蘇拉發陸警、暴風圈明午觸陸會放「颱風假」嗎?
‹
1
2
3
›
颱風討論區
▲
回頂部