蘇拉颱風|最新颱風動態2023不斷更新|蘇拉颱風動態|最新颱風路徑|颱風快訊
海葵颱風
最新颱風動態|颱風快訊
氣象局颱風LIVE直播
三立準氣象
颱風討論區
蘇拉掰掰!14:30解除海警 海葵「接力」明海警
蘇拉海警今晚解除!海葵路徑西修恐擾北部 週五發海警
三颱共舞!「海葵」進逼東北方外海 「鴻雁」最新路徑曝光
最新颱風動態|颱風快訊
「蘇拉」攪局 恆春傳承百年中元「豎孤棚」喊卡
2023/08/30 09:03
蘇拉颱風接近,擔心入夜風雨漸強,屏東滿州的八瑤部落和分水嶺社區居民,晚間預防性撤離在滿州國中安置,鄉長透露有鄉民想回山上家園看看,基於安全勸阻,希望鄉民在颱風警報解除前,以安全為重。
蘇拉最快明解除陸警!「各地風雨」一次看 週末天氣曝光
2023/08/30 08:11
氣象局已經針對強颱蘇拉發布陸上颱風警報,天氣風險公司總經理彭啟明今(30)日提醒,雖然蘇拉往南修正,但其外圍的餘威仍在,這兩天要留意較強風勢及偶有局部強陣雨發生;天氣風險公司分析師吳聖宇表示,雖然目前來看蘇拉颱風路徑偏西,對台灣的影響減小,...
老大洩天機/蘇拉強度達顛峰!今風雨漸增、明全台影響最劇烈
2023/08/30 08:00
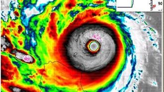
30日2時觀測資料顯示:蘇拉颱風眼清晰可見,眼牆厚實、雲頂溫度降低(左圖),顯示其已達「強颱」,美國甚至將其歸類為「超級颱風」。雷達回波合成圖亦顯現雙眼牆結構,其強度已近顛峯。30日2時中央氣象局路徑潛勢預測圖顯示,蘇拉進入巴士海峽,今日暴...
蘇拉再開眼!暴風圈「這時」觸陸、3地颱風假達標 吳德榮:強度近巔峰
2023/08/30 06:05
颱風蘇拉逐漸靠近台灣,中央氣象局持續發布蘇拉颱風海上、陸上颱風警報。根據中央氣象局指出,蘇拉昨(29)日晚間23時30分已轉為強烈颱風,今日上午5時時觀測資料顯示,蘇拉中心位置在鵝鑾鼻的南南東方約220公里之海面上,以每小時13公里速度向西...
開學首日!高屏「1區6鄉鎮」停班停課 全台蘇拉颱風假一覽
2023/08/30 05:20
中央氣象局指出,蘇拉昨(29)日晚間23時30分已轉為強烈颱風並逐漸靠近台灣,持續發布蘇拉颱風海上、陸上颱風警報。今日上午4時觀測資料顯示,蘇拉中心位置在鵝鑾鼻的南南東方約220公里之海面上,以每小時13公里速度向西北西移動,其暴風圈逐漸進...
蘇拉轉強颱「相當兇殘」!台灣再次躲過雙颱直撲 專家曬圖:真的很會閃
2023/08/30 05:04
颱風蘇拉逐漸靠近台灣,中央氣象局持續發布蘇拉颱風海上、陸上颱風警報。根據中央氣象局指出,蘇拉昨(29)日晚間23時30分已轉為強烈颱風,今日上午4時觀測資料顯示,蘇拉中心位置在鵝鑾鼻的南南東方約220公里之海面上,以每小時13公里速度向西北...
颱風蘇拉深夜轉強颱!暴風圈進入巴士海峽 對2地構成威脅
2023/08/30 00:04
颱風蘇拉逐漸靠近台灣,中央氣象局持續發布蘇拉颱風海上、陸上颱風警報。根據中央氣象局指出,蘇拉晚間23時30分已轉為強烈颱風,暴風圈更是逐漸進入巴士海峽,對屏東及恆春半島將構成威脅。
蘇拉深夜轉強颱!30日東南部防豪雨、西部高溫炎熱
2023/08/29 23:58
颱風蘇拉靠近,氣象局指出,預計30日到31日是蘇拉最接近台灣的時候,明天東半部會斷斷續續降雨,一直持續到31日之後,西半部則是高溫炎熱的天氣型態。根據氣象局資訊,蘇拉在晚間11點30分已轉為強烈颱風。
蘇拉颱風雨下在哪?南北超極端 全台風雨時程攻略來了
2023/08/29 22:19
颱風蘇拉接近台灣,中央氣象局今(29)日正式發布陸上颱風警報,預估週三、週四(30、31日)影響最明顯。氣象粉專「台灣颱風論壇|天氣特急」也公布全台風雨時程攻略,此次風雨最前線是恆春半島、台東,預計蘇拉週五(9月1日)逐漸遠離,往中國前進,...
「蘇拉」重開眼!威力挑戰美最高級颶風 專家見路徑:險再現尼伯特夢魘
2023/08/29 21:44
中颱「蘇拉」來勢洶洶,中央氣象局今(29)日下午17時30分發布陸上颱風警報,預計將在明、後天最接近台灣。對此,氣象粉專「觀氣象看天氣」也在臉書發文,表示好在蘇拉颱風預計會從西南部外海通過,否則當年的尼伯特、莫蘭蒂、賽洛瑪夢魘可能再現。
‹
5
6
7
›
氣象局颱風LIVE直播
蘇拉掰掰!14:30解除海警 海葵「接力」明海警
蘇拉海警今晚解除!海葵路徑西修恐擾北部 週五發海警
三颱共舞!「海葵」進逼東北方外海 「鴻雁」最新路徑曝光
深夜有望解除蘇拉陸警 週四東南部、屏東山區仍有大雨
氣象局估深夜解除蘇拉陸警 海葵、「準鴻雁」路徑受矚
12號颱「鴻雁」明生成!海葵影響北部?氣象局說明週末天氣
深夜可望解除蘇拉陸警 12號颱「鴻雁」最快明生成
蘇拉進逼南台灣!SETN帶您掌握「風浪熱區」即時影像
蘇拉颱風眼好大!氣象局估暴風圈午後觸陸
中颱蘇拉發陸警、暴風圈明午觸陸會放「颱風假」嗎?
‹
1
2
3
›
颱風討論區
▲
回頂部