蘇拉颱風|最新颱風動態2023不斷更新|蘇拉颱風動態|最新颱風路徑|颱風快訊
海葵颱風
最新颱風動態|颱風快訊
氣象局颱風LIVE直播
三立準氣象
颱風討論區
蘇拉掰掰!14:30解除海警 海葵「接力」明海警
蘇拉海警今晚解除!海葵路徑西修恐擾北部 週五發海警
三颱共舞!「海葵」進逼東北方外海 「鴻雁」最新路徑曝光
最新颱風動態|颱風快訊
快訊/蘇拉觸陸!新颱「鴻雁」最快明生成 路徑、對台影響出爐
2023/08/30 11:44
根據今(30)日11時最新資料顯示,第9號颱風「蘇拉」暴風圈已接觸台灣南端陸地。(記者:楊晏琳)
蘇拉漸進「交通異動一覽」 49航次停航、台鐵全線正常行駛
2023/08/30 11:12
強颱「蘇拉」逐漸靠近台灣,預計今(30)日中午前後暴風圈就會觸及屏東、恆春半島地區。受颱風影響,今日也有部分船班停航,台鐵18時前全線正常行駛。相關交通異動資訊,《三立新聞網》一次整理。(記者:楊晏琳)
罕見「超級藍月」引年度大潮!雙颱風環伺 低窪地區恐現海水倒灌
2023/08/30 10:58
雙颱風逼近,加上本月30日至9月3日為「年度大潮」期間,北市府水利處表示,漲潮期間注意海水倒灌、局部淹水等現象,當水位突然上漲時可能隨時執行堤外封閉作業,建議不要前往河濱區域活動及停放車輛以策安全,特別是河濱地勢較低的淡水河台北橋周邊沿線、...
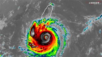
蘇拉抵台正南方「颱風眼銳利清晰」!風雨最劇時間曝光 4地注意了
2023/08/30 10:50
蘇拉颱風雖然中心不會登陸台灣,不過仍會為台灣帶來風雨影響。對此,氣象粉專「台灣颱風論壇|天氣特急」說明,強颱蘇拉維持巔峰狀態,颱風眼依然銳利清晰,目前已達台灣正南方,並透露風雨最劇烈的時間,提醒4個地區多加留意。
蘇拉路徑再往南修!新颱「鴻雁」最快今晚生成 預估朝這裡走
2023/08/30 10:18
台灣附近的海面上,目前除了第9號颱風「蘇拉」、第11號颱風「海葵」,還有另一熱帶性低氣壓(TD13)也已生成,氣象專家賈新興預估最快在今晚增強為第12號颱風「鴻雁」。根據中央氣象局路徑潛勢預報,鴻雁生成後,預估未來將朝日本方向前進。
不只蘇拉!海葵恐轉中颱逼近 李四川:8/31開始影響北部最大
2023/08/30 09:58
根據中央氣象局指出,蘇拉昨(29)日晚間轉為強烈颱風,暴風圈預計中午前後會逐漸接近屏東、恆春半島,但不可輕忽的是還有輕颱海葵。台北市副市長李四川今(30)日赴台北市災害應變中心主持防颱整備會議,他表示,真正對北部影響最大是海葵颱風,預估8月...
防蘇拉豪雨釀土石流災情!廬山溫泉居民預防性撤離、120人取消登山
2023/08/30 09:56
八月初慘遭土石流重創的南投仁愛鄉,面對來勢洶洶的蘇拉颱風,不敢大意,廬山地區村長29日預先勸離廬山溫泉附近居民,另外包括南豐、春陽與精英三村也展開防颱作業。南投縣政府29日下午5點半成立災害應變中心二級開設,各單位展開防颱整備工作。其中,申...
快訊/ 蘇拉颱風逼近!雨彈襲屏東 3縣市發豪、大雨特報
2023/08/30 09:54
中央氣象局今(30)早09:35發布豪雨、大雨特報,受第9號颱風外圍環流影響,易有短延時強降雨,今日恆春半島有局部大雨或豪雨發生的機率,東部及東南部(含蘭嶼、綠島)地區有局部大雨發生的機率,請注意。
蘇拉暴風圈中午觸陸!估今深夜解除陸警 12號颱「鴻雁」最快週四生成
2023/08/30 09:28
中央氣象局預計強烈颱風「蘇拉」暴風圈今(30)日中午前後逐漸接近屏東、恆春半島,也新增台灣海峽北部至海警範圍。今明兩日一樣是影響台灣最劇烈的時候,最快今日深夜解除陸警,海警則是要等到明天下半天過後才有機會解除。(記者:楊晏琳)
一個接一個!鴻雁颱風恐生成 專家曝1現象:日、韓可沒這麼幸運
2023/08/30 09:16
除了蘇拉颱風、海葵颱風相繼生成,還有一個熱帶性低氣壓TD13在太平洋海域。對此,天氣粉專「林老師氣象站」今(30)日指出,TD13剛剛生成並持續增強,有機會發展成今年第12號颱風「鴻雁」;後面也還有其它熱帶雲簇正在接續醞釀的訊號。
‹
4
5
6
›
氣象局颱風LIVE直播
蘇拉掰掰!14:30解除海警 海葵「接力」明海警
蘇拉海警今晚解除!海葵路徑西修恐擾北部 週五發海警
三颱共舞!「海葵」進逼東北方外海 「鴻雁」最新路徑曝光
深夜有望解除蘇拉陸警 週四東南部、屏東山區仍有大雨
氣象局估深夜解除蘇拉陸警 海葵、「準鴻雁」路徑受矚
12號颱「鴻雁」明生成!海葵影響北部?氣象局說明週末天氣
深夜可望解除蘇拉陸警 12號颱「鴻雁」最快明生成
蘇拉進逼南台灣!SETN帶您掌握「風浪熱區」即時影像
蘇拉颱風眼好大!氣象局估暴風圈午後觸陸
中颱蘇拉發陸警、暴風圈明午觸陸會放「颱風假」嗎?
‹
1
2
3
›
颱風討論區
▲
回頂部