楊柳颱風動態
最新颱風動態|颱風快訊
氣象署颱風LIVE直播
三立準氣象
⚡颱風特報 #不斷電直播⚡楊柳颱風準備登陸!最新「降雨時程」一次看
陸警範圍再擴大?楊柳颱風預計明午登陸 氣象署最新說明
明天停班課?5縣市風雨預測達標 氣象署最新說明
最新颱風動態|颱風快訊
快訊/「楊柳」強風太恐怖!鼓山區電纜被吹斷 1359戶瞬間停電
2025/08/13 15:34
中颱楊柳13日登陸台東後,瞬間帶來強風暴雨,導致高屏地區也受到不小的影響,其中高雄鼓山區在下午1點多左右,由於台電高壓電纜被吹斷,造成1359戶停電,直到1點50分左右已復電604戶,仍有577戶還在搶修中。
楊柳強襲「登陸後北飄」!4縣市紅色警戒 北部風雨下班時最劇
2025/08/13 15:14
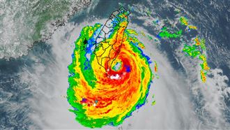
楊柳颱風已於今(13)日下午13時許在台東太麻里附近登陸,中央氣象署也針對東、南部4個地區發布紅色「大豪雨警戒」,請民眾嚴防極端劇烈的風雨。另外,氣象粉專「天氣風險 WeatherRisk」表示,在颱風中心翻過中央山脈後,可能有一段向北飄移...
風災重建特別條例逕付二讀!朱立倫曝國民黨目標:盼能在周五院會通過
2025/08/13 15:10
行政院7日通過「丹娜絲颱風及728豪雨災後復原重建特別條例草案」,拍板特別預算編列560億元救災,協助受災縣市善後重建,日前函請立法院審議。國民黨主席朱立倫今(13日)在中常會上表示,立法院已針對丹娜絲颱風以及後續豪雨造成災情的特別條例逕付...
「嘉義以南」豪雨灌到入夜!楊柳傍晚台南出海 氣象署:明晨解除海陸警
2025/08/13 15:06
中度颱風楊柳侵台!中央氣象署表示,颱風中心於今(13)日13時00分至13時10分之間登陸台東太麻里,目前花東、嘉義以南及澎湖風雨最劇烈,而颱風將於今日傍晚自台南出海,並於晚間轉為輕度颱風,朝中國華南一帶前進。
楊柳颱風侵台!真的講不聽?屏東民眾海邊觀巨浪…下秒海巡隊開罰
2025/08/13 14:53
海巡署東港安檢所人員於13日早上8點10分左右,依縣政府公告執行岸際勸離作業,巡查至東港地區南平里海堤,也就是靠近將軍廟一帶時,發現鍾姓民眾無視禁限令,仍於颱風期間進入警戒區,隨即由海巡人員向鍾姓民眾告知此行為已違反災害防救法所列規範,向鍾...
楊柳颱風來襲!台東興建大樓「鷹架遭吹倒」如亂箭狂射 超驚悚畫面曝光
2025/08/13 14:42
中度颱風楊柳來襲,中央氣象署表示,颱風中心已於今(13)日下午1時至1時10分之間登陸台東太麻里。隨著風雨增強,台東陸續傳出災情,一名民眾更拍下驚悚畫面,一棟正在興建的社會住宅,側邊鷹架遭強風吹垮,現場宛如災難片場景。
楊柳挾強風襲台!台東社會宅鷹架「天女散花」 網驚:沒事千萬別出門
2025/08/13 14:34
楊柳颱風襲台,花東地區首當其衝,楊柳已於13日下午1時許,從台東縣太麻里登陸,挾帶豪大雨與強風,造成多處災情。位於台東的大同路社會宅,外面鋪設的鷹架,在強風之中被吹得七零八落,猶如天女散花整片撒開,驚悚景象也讓網友紛紛直呼「沒事千萬不要出門...
店家外牆磚塊掉落!中颱楊柳強風豪雨 台東全家落地玻璃遭吹垮
2025/08/13 14:26
中颱楊柳來勢洶洶,13日下午1時登陸台東太麻里,目前花蓮、台東風雨最大,綠島及蘭嶼測出17級強陣風,南部雨勢逐漸增強,預計傍晚從台南、高雄一帶出海;楊柳帶來的強風豪雨,已在台東市區釀成災情,不但全家超商整片落地玻璃被吹垮,中華路商家外牆亦出...
快訊/中颱楊柳暴風圈影響西半部!南投「2所國中小學」急喊停班課
2025/08/13 14:25
楊柳颱風於今天下午1時至1時10分登陸台東縣太麻里,中央氣象署提醒,東半部、南部及中南部山區為強降雨警戒區。南投縣政府稍早宣布,水里鄉民和國中與民和國小今日下午起停止上班、停止上課,鄉長提醒民眾儘量避免外出,密切留意天氣變化,並加強居家防護...
陳亭妃曝台南現況:風、雨漸大 黃偉哲籲下午至晚間影響最劇、請別外出
2025/08/13 14:25
颱風天注意自身安全!民進黨台南市立委陳亭妃今(13)天下午發文提醒,目前台南的狀況,風、雨慢慢加大,大家真的要做好防颱準備。
‹
5
6
7
›
氣象署颱風LIVE直播
楊柳將登陸台東!午後風雨迅速轉強 氣象署說明
陸警範圍再擴大?楊柳颱風預計明午登陸 氣象署最新說明
明天停班課?5縣市風雨預測達標 氣象署最新說明
楊柳逼近!氣象署發布陸警 首波警戒區域出爐
楊柳颱風「增強逼近」將發陸警 氣象署最新說明
楊柳發布海警「恐再增強」!氣象署最新說明
▲
回頂部