楊柳颱風動態
最新颱風動態|颱風快訊
氣象署颱風LIVE直播
三立準氣象
⚡颱風特報 #不斷電直播⚡楊柳颱風準備登陸!最新「降雨時程」一次看
陸警範圍再擴大?楊柳颱風預計明午登陸 氣象署最新說明
明天停班課?5縣市風雨預測達標 氣象署最新說明
最新颱風動態|颱風快訊
楊柳颱風有多強?小琉球鏡頭君完整記錄「瞬間下課」氣象署:傍晚出海
2025/08/13 14:20
隨著中颱楊柳侵台逐漸加劇,強風暴雨也對台東、屏東、高雄市等地開始釀成災情,其中在小琉球一支對著花瓶岩直播風景優美海岸線的直播鏡頭也被吹塌,目前雖尚未斷線,但透過畫面只能看到鏡頭君正在拍攝地面,可見其風勢有多強勁。
午後是真正的颱風天!楊柳穿越南台灣 估傍晚「台南至屏東」出海
2025/08/13 14:20
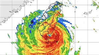
中颱楊柳已於今(13)日13時左右於台東縣太麻里附近登陸,氣象粉專「台灣颱風論壇|天氣特急」表示,南部風雨即將增強,山脈再也屏障不了了,午後風力起碼10~12級及大雨,「小心午後是真正的颱風天」。預估楊柳颱風會在傍晚左右於「台南至屏東」間出...
楊柳帶雨炸全台!18縣市豪大雨一路下到明晨 高屏花東大豪雨
2025/08/13 14:14
注意雨勢!氣象署在今(13)天13:50發布豪雨特報指出,颱風及其外圍環流影響,易有短延時強降雨,今下午起至晚間嘉義以南地區降雨將逐漸增加;臺東縣地區、花蓮縣山區、高雄市山區、屏東縣山區有局部豪雨或大豪雨,花蓮縣地區、嘉義縣地區、臺南市地區...
不斷更新/楊柳撲台!「南投2校」中午起停班課 全台颱風假一次看
2025/08/13 14:12
今年第11號颱風「楊柳」(Podul)海陸警均已發布,預計今(13)日中午前後從台東登陸。對此,《三立新聞網》帶您掌握全台最新的各縣市停班停課資訊,將以不斷更新的方式提供給讀者參考。
楊柳颱風太恐怖!台東「漁船被吹上馬路」畫面曝 全家超商玻璃碎裂
2025/08/13 14:02
颱風楊柳直撲台灣,已於13日下午1時許,從台東縣太麻里登陸,挾帶豪大雨與強風,花東地區頻傳災情,包太麻里車站路樹被吹倒,更誇張的是,台東富岡里強風驟雨,竟有漁船被吹到馬路上。另外,台東市區、更生路四維路交叉口,一家全家超商玻璃破裂,貨價及商...
臨時放颱風假?北北基「下班時段風最強」 專家示警:自求多福
2025/08/13 14:02
中央氣象署觀測資料顯示,中度颱風「楊柳」(Podul)已於13時許登陸台東太麻里一帶,目前中心位置在台東南南西方,未來向西北西移動,其暴風圈正籠罩台東、花蓮、南投及臺中以南陸地,對台東、花蓮、苗栗以南地區及澎湖、金門構成威脅。北被地區安了嗎...
楊柳颱風登陸「明天停班課」? 7縣市風雨預測達標
2025/08/13 13:48
中度颱風楊柳已於今(13)日13時00分至13時10分之間登陸台東太麻里,全台將迎強風豪雨,尤其花東、苗栗以南、澎湖、金門要嚴加防範。外界關注明日是否停班課,根據氣象署今日13時風雨預報顯示,共有7縣市達標。不過實際停班課消息仍由各縣市政府...
楊柳颱風13:00登陸台東太麻里!對決中央山脈 5小時貫穿台灣
2025/08/13 13:24
中度颱風楊柳侵台!中央氣象署表示,颱風中心於今(13)日13時00分至13時10分之間登陸台東太麻里。氣象署提醒,目前花蓮、台東風雨最大,綠島及蘭嶼已測出17級強陣風,下午南部雨勢將逐漸增強,全台都要留意強風大雨,約今日傍晚就會在台南、高雄...
不斷更新/楊柳襲台!新光三越、SOGO暫停營業 全台百貨公告一覽
2025/08/13 13:05
楊柳颱風逼近台灣,海陸警齊發,雲林縣、嘉義縣市、台南市、高雄市、屏東縣、花蓮縣、台東縣、澎湖縣今(13)日停班停課,南紡購物中心今早宣布暫停營業,《三立新聞網》為您整理全台百貨營業異動。(賴俊佑)
快訊/楊柳撲台風雨漸強恐釀災 南投信義鄉宣布:1230起停班課
2025/08/13 12:58
中度颱風「楊柳」的暴風圈已接觸東部陸地,強降雨警戒區為東半部、南部及中南部山區,因應豪大雨影響,南投縣信義鄉宣布今(13)日中午12:30起停班停課,鄉長提醒民眾儘量避免外出,密切留意天氣變化,並加強居家防護措施。若發生災情或有緊急狀況,請...
‹
6
7
8
›
氣象署颱風LIVE直播
楊柳將登陸台東!午後風雨迅速轉強 氣象署說明
陸警範圍再擴大?楊柳颱風預計明午登陸 氣象署最新說明
明天停班課?5縣市風雨預測達標 氣象署最新說明
楊柳逼近!氣象署發布陸警 首波警戒區域出爐
楊柳颱風「增強逼近」將發陸警 氣象署最新說明
楊柳發布海警「恐再增強」!氣象署最新說明
▲
回頂部