APP下載
活動
爆料
圖輯
AI爆報
追蹤新聞
3
台灣彩券開獎直播中
三立iNEWS新聞台線上直播
LIVE三立+24小時直播
即時
美以突襲伊朗
對等關稅違憲
新聞
熱門
政治
社會
娛樂
生活
新奇
健康
國際
兩岸
運動
財經
房產
旅遊
科技
汽車
遊戲
ESG
影音
總覽
政論
節目
熱搜
直播
iNEWS
專題
總覽
特企
專頁
大事件
彩券
專欄
民調
快訊
哈米尼遭斬首政權地震 伊朗恐陷文明斷層
23:38
i17e新色登場 售價、開賣時間曝光
23:37
以色列襲黎巴嫩首都:擊斃真主黨情報首長
23:27
遭伊朗攻擊!卡達、沙國能源設施停擺
23:12
電影院推「不爽退票」20分鐘內可退款40%
23:07
伊朗無人機襲空軍基地 英首相強調不參戰
23:05
台中30歲女罹乳癌!化療前凍20顆卵保生機
23:03
ATM防窺「密碼加小數點也能領錢」結果曝
23:00
用力反而卡關!專家揭10招「低耗減肥法」
22:59
賴士葆諷好好做妳的官 賈永婕高EQ反擊了
22:59
國軍憾事!士官庫房輕生亡 金防部證實
22:56
伊朗被拒擁核武 美以軍事打擊法源一次看
22:56
新/伊朗恐封鎖石油 美股開盤它逆勢漲5%
22:42
美以襲擊局勢升溫 王毅與伊朗外長通話
22:36
元宵節好運生肖排名揭曉!第一名竟是它
22:30
中東戰火升溫嚇壞網紅團!4人改票噴32萬
22:27
伊朗領袖身亡 何梅尼之孫成接班討論焦點
22:23
死亡事故頻傳!第一視角揭大車致命盲區
22:22
美攻委國、伊朗掐命脈 中國攻台成本恐增
22:12
體驗肉身邯鄲爺 29歲男全身30%二度灼傷
22:10
台灣彩券開獎直播中
20:31
台彩春節加碼12億元創新高
12:00
大樂透加碼480組100萬元
12:00
大樂透加碼800組10萬元
12:00
賓果賓果鬧元宵 大樂透、今彩539續加碼
12:00
開工打造好運勢 小人退散能量水晶迎貴人
12:00
祥獅獻瑞迎開工!愛妮雅集團新年藍圖首曝
17:00
瘦身急救章 一秒塑身穿上小號緊身洋裝
11:00
初九天公生 松山奉天宮備平安麵共享
16:00
捷運七張站走路2分鐘 友座明明德機能到位
15:00
開學換機酷澎火箭速配隔日到貨
10:00
企業暖心故事 一份工作撐起整個家
13:00
Xtars人氣直播主大揭密 鏡頭下的甘苦
13:00
土城永福岩清水祖師廟擲筊大賽 頭獎百萬
12:00
初一金山財神廟湧人潮 聯名蛋捲禮盒喜氣
11:00
首頁
關鍵字
颱風假
颱風假
「1縣市」擬調整停班停課標準!
基隆市現行不分平地、山區,累積雨量預測達350毫米得...
2026/01/22 00:51
自掏3.5萬元發雞排!台大電機學長護校譽
自稱台大大氣系的網友日前發文預測台北市至少放2天颱風...
2025/11/17 16:39
直擊/這次沒放鳥 台大電機學長現身發雞排
自稱台大大氣系的網友日前發文預測台北市至少放2天颱風...
2025/11/17 15:49
台大大氣系再放鳥!傅鐘發雞排無人現身
自稱台大大氣系的網友日前發文預測台北市11月12日至...
2025/11/17 12:29
捍衛母校尊嚴!台大學長將發400份雞排
一名台大電機系已畢業學長在社群平台發文,因不滿大氣系...
2025/11/17 12:00
南投送100隻烤雞現場爆衝突 老闆吐心聲
知名連鎖「烤雞特攻隊」高屏嘉義店日前預言,「9縣市週...
2025/11/17 11:09
「發雞排跳票是淡X生」戴綠帽報復台大女
日前一名台大網友在臉書「黑特帝大」發出祭品文,喊話賭...
2025/11/17 10:01
喊發雞排放鳥 他匿名道歉:不是台大學生
日前一名自稱「台大大氣系」的網友,發文預測台北市因鳳...
2025/11/17 07:55
台大地理系霸氣送350杯飲料!領取方法曝
日前一名台大網友在臉書「黑特帝大」發出祭品文,喊話賭...
2025/11/17 07:37
大氣系喊發「300份雞排」!台大說話了
自稱台大大氣系的網友日前發文預測台北市11月12日至...
2025/11/16 17:00
新/等不到雞排?台大大氣系傳明分批發放
自稱台大大氣系的網友日前發文預測台北市11月12日至...
2025/11/16 15:13
台大大氣系改明天發雞排?一堆人苦等落空
一名自稱台大大氣系學生的網友日前在臉書社團發文豪言,...
2025/11/16 14:48
賭輸大氣系招牌放鳥?傅鐘排爆沒人發雞排
日前鳳凰颱風侵襲台灣,就有一名自稱是台大大氣系的網友...
2025/11/16 13:29
嗆領雞排是乞丐!揚言準時帶槍掃射觸1罪
日前「鳳凰」颱風逼近,有網友頂著台大大氣系的名號,發...
2025/11/15 06:08
眼紅要掃射雞排人潮!男子落網說這事
前幾天鳳凰颱風造成宜、花地區不少災情,也引發了公眾對...
2025/11/15 04:07
停班課標準有問題?鄭明典曝「1大漏洞」
每每颱風侵台,各縣市是否放颱風假都會掀起討論。前氣象...
2025/11/13 18:06
賭輸颱風假發雞排 他認份數縮水仍被讚
近日一名自稱是台大學生的網友,因鳳凰颱風逼近台灣,喊...
2025/11/13 12:38
道路中斷 台東土坂國小13日停課停班
台東連日下雨,造成台東縣達仁鄉土坂部落聯外道路中斷,...
2025/11/13 07:09
金門縣宣布了!13日各縣市停班課一覽
鳳凰颱風已於今(12)日晚間19時40分登陸恆春半島...
2025/11/12 20:50
鳳凰殺到家門口 入秋最強冷空氣這天接力
鳳凰颱風已到家門口!中央氣象署表示,鳳凰颱風朝台灣前...
2025/11/12 18:07
再放一天颱風假?明天上午4縣市達標
鳳凰颱風加速往台灣逼近!中央氣象署表示,颱風預計今(...
2025/11/12 16:19
盧秀燕宣布放假「當下無風雨」KTV秒客滿
台中市長盧秀燕宣布12日停班停課,這突如其來的颱風假...
2025/11/12 15:33
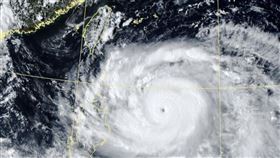
鳳凰颱風大暴衝 今晚登陸恆春快閃出海
鳳凰颱風侵台倒數!中央氣象署表示,鳳凰颱風預計今(1...
2025/11/12 15:06
預測颱風假落空!老闆送200隻烤雞地點曝
鳳凰颱風來襲,「烤雞特攻隊」高屏嘉義店業者昨日凌晨在...
2025/11/12 14:16
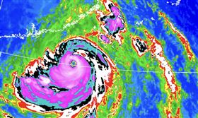
鳳凰剩最後一口氣 今深夜出海解除海陸警
鳳凰颱風持續減弱中,中央氣象署表示,目前鳳凰已達輕度...
2025/11/12 12:05
鳳凰颱風撲台 11/12遊樂園異動一次看
中央氣象署表示,鳳凰颱風今(12)日傍晚至晚間可能登...
2025/11/12 11:22
沒放假被咕嚕咕嚕灌爆!蔣萬安:依照數據
鳳凰颱風步步進逼,台北市11日僅12里放颱風假,今(...
2025/11/12 10:23
最新風雨預測 今午後9縣市達停班課標準
鳳凰颱風暴風圈今(12)日清晨已進入台灣南部陸地,中...
2025/11/12 10:08
蔣萬安罕露臉宣布上班課!今早臉書被灌爆
受到鳳凰颱風影響,截至今(12)日上午9時,全台共計...
2025/11/12 09:54
鳳凰恐撐不到出海 登陸後減弱為熱帶低壓
鳳凰颱風暴風圈今(12)日清晨已進入台灣南部陸地,中...
2025/11/12 09:08
最新圖輯
更多
初孟軒、鍾岳軒專訪
龍千玉與翁立友領豪記唱片群星拜年
Rain鄭智薰小巨蛋演唱會
金在中演唱會
羅志祥30周年演唱會
凱琳專訪
黃鐙輝、吳念軒、黃騰浩專訪
第62屆金馬獎得獎後台
第62屆金馬獎紅毯
劉書宏專訪
今日頭條
1
美以襲擊局勢升溫 王毅與伊朗外長通話
2
王惠美卸任縣長倒數 爆有望入閣藍綠合
3
不忍了!7國聯合聲明轟伊朗「胡亂攻擊」
4
口罩婦撿走媽媽「救命錢」 家屬公布特徵
5
新北、桃園3/9大停水 影響範圍一次看
6
北市幼兒園性侵案家屬求償 毛畯珅判賠
7
死亡事故頻傳!第一視角揭大車致命盲區
8
4縣市「藍白合」!鄭黃合體13日發表政見
9
馬國弼5千萬賭債剩5萬!律師驚:稀有動物
10
李宗瑞又得獎!台北燈節花燈賽「摘特優」
HOT焦點
更多
「賴」財產申報 一票人不信?曝背後故事
台灣祭行前派對「南國趴」熱血開唱
開工打造好運勢 小人退散能量水晶迎貴人
頻道推薦
直播✦活動
三立新聞網
為了提供更好的閱讀內容,我們使用相關網站技術來改善使用者體驗,也尊重用戶的隱私權,特別提出聲明。
了解最新隱私權聲明
知道了