APP下載
活動
爆料
圖輯
AI爆報
追蹤新聞
6
黎智英案宣判!
顧立雄赴立院報告
柯文哲涉京華城案進行言詞辯論
台灣彩券開獎直播中
三立iNEWS新聞台線上直播
LIVE三立+24小時直播
即時
助理費爭議
小紅書遭封鎖
新聞
熱門
政治
社會
娛樂
生活
新奇
健康
國際
兩岸
運動
財經
房產
旅遊
科技
汽車
遊戲
ESG
影音
總覽
政論
節目
熱搜
直播
iNEWS
專題
總覽
特企
專頁
大事件
彩券
專欄
民調
快訊
女星弒夫剁頭丟洗衣籃…現場畫面嚇壞法官
09:24
苗栗1家4口出遊「直線撞電桿」2人受困
09:24
咖啡喝錯恐骨質疏鬆 研究曝1飲品反加分
09:23
金曲歌手被直擊!布朗黑臉路人驚呼萬聖節
09:14
網友要賴清德「滾出中國」 夢多開轟嗆爆
09:09
開盤/台股暴跌500點 權值雙雄慘跌
09:08
籲藍白提倒閣!她諷:全面改選白剩幾席?
09:08
不是鳳梨酥 日本阿姨來台見1商品陷瘋狂
09:03
審訊歷時156天!黎智英案今早10時宣判
08:54
曾當大S爸!林光寧逝 網淚:天堂相聚了
08:50
2男超跑巷狂砸酒瓶 網轟:自以為很帥
08:49
習近平國師稱:統一10年讓台北變二線城市
08:44
台灣已進入無煙硝憲政內戰 他曝幕後推手
08:38
學者:藍白會繼續靠么,其實只要回一句話
08:31
33歲清大女領39K想轉職 網友看行業嘆1句
08:30
賓賓哥坑粉斂財!荒誕話術曝光她們都買單
08:26
SOGO敦化館熄燈落幕 老顧客淚別31年回憶
08:20
賴卓體制不副署 前藍委:在野不敢做1事
08:18
三商巧福超重湯匙30年不換 原因曝網狂讚
08:14
今明冷熱交替至少10℃ 1圖看本週4波變天
08:10
台灣彩券開獎直播中
20:31
黎智英案宣判!
09:09
高雄大氣球遊行登場 21顆空飄氣球超壯觀
12:00
嘉義市城市博覽會開幕「嘉義大舞台」嗨翻
20:00
健康AI領導品牌 威力先進得獎不斷
20:30
《上山吧》團員用「優蛋白EX」補充能量
13:00
《上山吧!台灣隊》創舉!征服非洲之巔!
10:00
他靠科學化心法兩年滾出千萬財富!
08:30
首頁
關鍵字
氣象署
氣象署
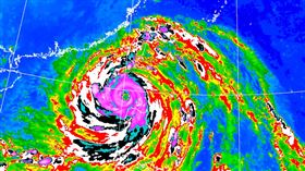
鳳凰暴風圈凌晨觸陸!4地區侵襲率飆100%
颱風鳳凰進逼,中央氣象署持續發布海上陸上颱風警報,氣...
2025/11/12 06:09
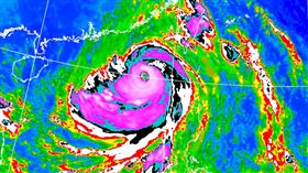
鳳凰轉彎!新北列降雨警戒 這時登陸屏東
鳳凰颱風逼近台灣,根據中央氣象署最新資料顯示,颱風過...
2025/11/12 05:45
全台都宣布了!12日停班停課一覽
鳳凰颱風持續逼近台灣。根據中央氣象署資料顯示,明(1...
2025/11/11 21:55
沒颱風假!北北基桃宣布:明日正常上班課
鳳凰颱風進逼,中央氣象署今(11日)清晨5時半發布海...
2025/11/11 20:02
新/11縣市豪雨特報!大雷雨危險區域曝光
鳳凰颱風路徑南修,雖然強度略為減弱,但其外圍環流與東...
2025/11/11 17:35
鳳凰颱風出事!網曬對比照傻眼:變小麻雀
鳳凰颱風從菲律賓北轉後,已減弱為輕颱,挾帶的風雨仍不...
2025/11/11 15:31
鳳凰恐死在台灣上空 登陸減弱為熱帶低壓
鳳凰颱風路徑南修,預計週三(12日)傍晚至晚上登陸高...
2025/11/11 15:18
鳳凰將面臨最後一擊?一票嘆:雙北放假0%
曾經是中颱上限的鳳凰颱風,在襲擊菲律賓並接近台灣後,...
2025/11/11 14:37
雙北正常上班 桃園人冒雨出門公車停駛
颱風鳳凰轉為輕颱,路徑南修後,登陸時間預計延後至明(...
2025/11/11 13:07
鳳凰颱風路徑南修 「登陸時間」延後
鳳凰颱風今(11)日上午已轉為輕度颱風,目前持續朝台...
2025/11/11 12:05
鳳凰這時登陸!日氣象廳:穿心通過本島
第26號中度颱風「鳳凰」持續逼近台灣,颱風外圍環流及...
2025/11/11 10:57
馬郁雯為這事 颱風天竟讓李正皓跪算盤?
鳳凰颱風來勢洶洶!台北市今(11)天正常上班課,投入...
2025/11/11 10:17
週三颱風假?最新風雨預測8縣市達標
鳳凰颱風持續逼近台灣,中央氣象署今(11)日清晨5時...
2025/11/11 10:17
專家:鳳凰7級暴風圈今深夜觸及高屏一帶
根據氣象署最新資料,輕度颱風鳳凰11日9時的中心位置...
2025/11/11 09:50
最強冷空氣下週襲變天!這天創入秋最低溫
中央氣象署今(11)日持續發布颱風「鳳凰」海上、陸上...
2025/11/11 09:39
週三哪些縣市颱風假?氣象署揭警戒區域
鳳凰颱風今(11)日上午已轉為輕度颱風,目前持續朝台...
2025/11/11 09:19
週三颱風假?風雨預測 16縣市停班課達標
根據中央氣象署最新資料顯示,第26號颱風鳳凰中心目前...
2025/11/11 09:05
鳳凰減弱為輕颱 陸警範圍擴大涵蓋4縣市
鳳凰颱風持續逼近台灣,中央氣象署今(11)日清晨5時...
2025/11/11 08:44
新北也入列!最新風雨預測「14縣市達標」
第26號中度颱風「鳳凰」持續逼近台灣,颱風外圍環流及...
2025/11/11 06:35
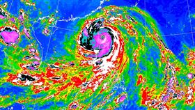
鳳凰路徑罕重疊百年冬颱!3縣市登陸熱點
第26號中度颱風「鳳凰」持續逼近台灣,颱風外圍環流及...
2025/11/11 05:35
鳳凰轉穿台路徑!5地「暴風侵襲率飆98%」
第26號中度颱風「鳳凰」已經逐漸轉向東北、朝台灣移動...
2025/11/11 04:45
北部桃園獨放颱風假 全台6縣市停班課一覽
第26號中度颱風「鳳凰」持續逼近台灣,中央氣象署昨(...
2025/11/11 04:19
鳳凰減弱!估週二陸警「半個台灣紫爆」
今年第26號颱風鳳凰,目前強度為中度颱風,氣象署持續...
2025/11/10 23:59
基北北桃停班課不同調? 新北市府回應了
中颱鳳凰持續逼近,北台灣風雨不小,不過原本「同進退」...
2025/11/10 22:39
北北基桃颱風假不同調!週二停班停課一覽
中颱鳳凰來勢洶洶,持續逼近台灣,根據中央氣象署最新觀...
2025/11/10 21:39
鳳凰颱風來襲!明日東部、北部豪大雨特報
氣象署今(10)日針對鳳凰颱風持續發布海上颱風警報,...
2025/11/10 21:12
鳳凰颱風登陸後「貫穿台灣」這天才出海
鳳凰颱風逐步接近,預計以輕颱之姿來犯,原本中央氣象署...
2025/11/10 20:40
鳳凰明升級「強颱風」 直撲台灣路徑曝
鳳凰颱風逐步北轉撲台,中央氣象署今(10)日17時3...
2025/11/10 20:15
新/鳳凰恐穿心苗栗!鍾東錦:照常上班課
鳳凰颱風持續逼近台灣,將持續向西北西轉北朝台灣海峽前...
2025/11/10 19:05
花蓮馬太鞍溪暴漲了!泥水流出淹過台9線
鳳凰颱風持續逼近台灣,將持續向西北西轉北朝台灣海峽前...
2025/11/10 18:54
«
‹
1
2
3
4
5
›
»
最新圖輯
更多
第62屆金馬獎得獎後台
第62屆金馬獎紅毯
劉書宏專訪
袁澧林、陳孝萱專訪
第36屆金曲獎星光大道
第36屆金曲獎得獎圖輯
NMIXX林口體育館粉絲演唱會
KISS OF LIFE台北演唱會
林芯儀專訪
GYUBIN大巨蛋開球
今日頭條
1
立院對台灣斷手斷腳 他:補救手段幾用完
2
今晨低溫7.1度 冷氣團發威4縣市低溫特報
3
勞動部發錢了 最高領10萬申請4條件曝光
4
「公益網紅」賓賓哥遭爆斂財破億霸凌粉絲
5
黃國昌問「倒閣卓榮泰會下台嗎」律師嗆87
6
澳洲海灘槍擊釀11死 大叔英勇奪槍身分曝
7
蕭敬騰岳父逝!昔中風手萎縮1舉動感動網
8
審訊歷時156天!黎智英案今早10時宣判
9
10縣市今早起停水!最久「9小時沒水用」
10
獨/男星悲慟阿嬤猝逝!來不及見最後一面
HOT焦點
更多
動漫祭唱跳表演 AI練習生登台圈粉
高雄大氣球遊行登場 21顆空飄氣球超壯觀
健康AI領導品牌 威力先進得獎不斷
頻道推薦
直播✦活動
三立新聞網
為了提供更好的閱讀內容,我們使用相關網站技術來改善使用者體驗,也尊重用戶的隱私權,特別提出聲明。
了解最新隱私權聲明
知道了