APP下載
活動
爆料
圖輯
阿立導讀
追蹤新聞
5
【94要客訴】
大甲媽祖遶境進香 現場最新情
台灣彩券開獎直播中
三立iNEWS新聞台線上直播
LIVE三立+24小時直播
即時
白沙屯進香
美伊停火
新聞
熱門
政治
社會
娛樂
生活
新奇
健康
國際
兩岸
運動
財經
房產
旅遊
科技
汽車
遊戲
ESG
影音
總覽
政論
節目
熱搜
直播
iNEWS
專題
總覽
特企
專頁
大事件
彩券
專欄
民調
快訊
台中2歲童墜樓命危 試管媽奔白沙屯祈福
12:41
新/板橋透天厝突竄火 濃煙竄天嚇壞人
12:41
2026節能補助最後一年 這三種家電熱銷
12:40
國安疑慮?首例中配考上健保署 官方回應
12:40
點無糖「果汁早加糖」龜記回應引爆網怒火
12:35
亞歷山大得25分15分靠罰球 雷霆痛擊太陽
12:33
賴清德將出訪非洲 索馬利蘭無懼北京力挺
12:28
人為何總在凌晨3點醒來?睡眠研究揭真相
12:26
美體小舖台灣創辦人逝 醫美老闆賠361萬
12:21
鄧紫棋突自爆罹1隱疾 苦撐153場巡演才知
12:20
馬英九不忍了:蕭旭岑、王光慈別再貶損我
12:18
獨/只要80萬!51歲女主持人有意出國養老
12:14
李四川稱當選解決雙和塞車 侯友宜說話了
12:14
賴清德訪索國獲索馬利蘭力挺!綠委曝意義
12:14
跟白沙屯媽祖走3年 謝忻挨轟不敬道歉了
12:09
酒駕男高速追撞 呂秋遠女兒母痛批這件事
12:08
扛40kg透析用品追極光 他把飯店變洗腎室
12:08
村上本季2度連3場轟 MLB僅2位新人辦到過
12:06
新/國道連撞6傷最小5歲 他手大噴血送醫
12:03
i-dle巡演突喊卡 10場演出取消粉絲崩潰
12:01
台灣彩券開獎直播中
20:31
大甲媽祖遶境進香 現場最新情
08:33
【94要客訴】
12:00
臺東女路走讀山海 私房菜說生命故事
12:00
嬰幼兒呼吸道殺手!醫曝RSV預防新里程
10:30
面試找到歸屬感 李唐成為中信傑出經紀人
12:00
五月雪美不勝收 桃園桐花祭13處賞桐秘境
21:00
進香免煩漏!來復易讓長輩不怕找廁所
18:30
台灣狼現身白沙屯進香!送出限量結緣商品
18:00
護理師變房仲菁英 中信房屋黃盺妮勇跨界
12:00
酷澎跨境入手BP聯名 還有PS5星空
11:00
首頁
關鍵字
鄭明典
鄭明典
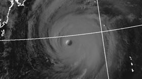
衛星圖現大片紫色!鄭明典:季節轉變特徵
前中央氣象局長鄭明典指出,衛星雲圖顯示,越南、中國開...
2026/04/20 05:52
排隊雲團!專家:在梅雨季是致災豪雨特徵
今(17)日鋒面接近,配合午後熱力作用影響,東北部、...
2026/04/17 10:54
雨停了別鬆懈!鄭明典:這雲系最容易致災
清明連假的雨終於暫停,但氣象專家提醒,好天氣只是短暫...
2026/04/05 22:40
台灣上空1現象又出現 鄭明典:雨季未到
今(2)日東北季風減弱,台灣各地多雲到晴,午後中部以...
2026/04/02 12:15
海洋熱炸一片橘紅!他驚:分析以來最高溫
環境千變萬化,而全球暖化正悄悄加速,前氣象局(署)長...
2026/03/28 11:42
專家估聖嬰現象恐釀極端氣候 對台影響曝
隨著太平洋海域持續高溫,2026年的全球氣候恐將出現...
2026/03/22 21:26
罕見高氣壓!鄭明典曝「春雨暫停」原因
台灣連日受到高氣壓影響,春雨暫停,且白天高溫顯著,前...
2026/03/17 20:19
台灣上空罕見「1變化」 鄭明典揭2影響
今(17)日各地大多為晴到多雲,環境風場轉為東南風,...
2026/03/17 09:45
強烈冷氣團確定達標!鄭明典曝1好消息
冷到翻!受到冷氣團南下、華南雲雨區東移等影響,新北市...
2026/03/10 09:16
大陸冷氣團達標!「這天」低溫恐下探10度
今(9)日冷氣團南下,北部及東北部天氣轉冷,中午左右...
2026/03/09 21:24
元宵濕冷!鄭明典曬1圖:對流性降雨變強
今日華南雲雨區東移,全台有短暫陣雨,尤其西半部需防局...
2026/03/03 08:49
地震頻來!台灣悄移動「靠中國更近」網驚
為了觀察地層,中央氣象署建置超過160個「全球導航衛...
2026/02/20 06:57
濟州島驚現「神祕 666」雲系!鄭明典示警
2026 年大年初三(19 日),前氣象局長鄭明典在...
2026/02/19 21:21
台灣北端有旋轉雲!鄭明典估:雨要延遲了
除夕到來,除了初一禁忌等民俗話題,天氣也有人關注。前...
2026/02/16 16:52
今16縣市低溫特報 鄭明典:晚上再變天
輻射冷卻影響,今(10日)晨至上午局部地區氣溫偏低,...
2026/02/10 08:24
冷氣團炸台「寒冷範圍擴大」平地恐剩5度
今(9)日全台持續受到強烈大陸冷氣團持續發威,會冷得...
2026/02/09 08:31
雲層變薄了!鄭明典示警:小心入夜後低溫
冷意越來越明顯,氣象署今(8)日一早就發布了12縣市...
2026/02/08 10:55
冷高壓出海!鄭明典PO一圖曝「最凍時刻」
降溫有感,走在路上可以看到很多人都穿著厚重的外套,戴...
2026/02/08 08:31
夜間影像曝!鄭明典:氣溫還會明顯降一波
受到寒流南下影響,氣象署今(7)日發布「11縣市」低...
2026/02/07 08:36
「雲街」現身!鄭明典:冷空氣南下影響台
冷平流雲系出現!前中央氣象局長鄭明典今(6)日在臉書...
2026/02/06 10:13
鄭明典突曬1圖!驚呼「大趨勢變了」
今(2)日持續受大陸冷氣團影響,各地早晚偏涼冷,中部...
2026/02/02 14:56
1圖揭未來天氣 鄭明典:「這時」轉穩定
受大陸冷氣團影響,今(2)日各地早晚偏涼冷,部分地區...
2026/02/02 10:46
今夏迎酷熱、颱風很強?鄭明典一圖示警了
2026年已經過去了一個月,未來天氣會如何發展,持續...
2026/02/02 08:42
2月恐重現「霸王級寒流」?鄭明典揪2差別
氣象粉專根據美國模式預估,將有一波冷空氣將影響台灣,...
2026/01/30 14:53
北台灣恐0度比霸王寒流還冷?鄭明典說明
1月即將進入尾聲,寒冷的天氣並未因此告一段落。氣象粉...
2026/01/30 11:32
「冰凍美國」全境零下 鄭明典:還沒完
美國近日受到冬季風暴影響,天氣嚴寒大雪、結冰,已造成...
2026/01/29 10:26
冬天結束?鄭明典揭「1跡象」:春季快來
天氣變化大!氣象專家吳德榮指出,今(27)日東北季風...
2026/01/27 16:55
負北極振盪訊號顯著!他曝冷空氣外流3路徑
今(27)日東北季風增強,北部及東北部氣溫下降,明(...
2026/01/27 07:52
負北極振盪訊號!鄭明典:台也在影響範圍
今(23)日清晨強烈大陸冷氣團影響,各地天氣寒冷,中...
2026/01/23 07:42
全台濕冷低溫跌破10℃!降雨熱區曝光
大陸冷氣團南下,各地氣溫驟降。前中央氣象局局長鄭明典...
2026/01/22 09:25
«
‹
1
2
›
»
最新圖輯
更多
劉冠廷專訪
林予晞、王真琳專訪
李雪、陳昱廷專訪
初孟軒、鍾岳軒專訪
龍千玉與翁立友領豪記唱片群星拜年
Rain鄭智薰小巨蛋演唱會
金在中演唱會
羅志祥30周年演唱會
凱琳專訪
黃鐙輝、吳念軒、黃騰浩專訪
今日頭條
1
黑白切少東…遭「斷手腳筋」丟包原因曝!
2
馬英九不忍了:蕭旭岑、王光慈別再貶損我
3
荷莫茲海峽傳槍響!船員驚恐求救:別開槍
4
大甲媽鑾轎頻頻跌倒!網嘆「變質」原因曝
5
小S自責發起大S最後旅行 早知聽S媽的話
6
他衝火場救妻女最後身影 3口困陽台絕命
7
新/觀光慘業撐不住!商總求藍綠放手
8
i-dle巡演突喊卡 10場演出取消粉絲崩潰
9
2台人魂斷阿蘇!日擬動用「1物」回收遺體
10
尪冒充國貨…害學童吞下肚!議員妻道歉了
HOT焦點
更多
台灣狼現身白沙屯進香!送出限量結緣商品
酷澎跨境入手BP聯名 還有PS5星空
臺東女路走讀山海 私房菜說生命故事
頻道推薦
直播✦活動
三立新聞網
為了提供更好的閱讀內容,我們使用相關網站技術來改善使用者體驗,也尊重用戶的隱私權,特別提出聲明。
了解最新隱私權聲明
知道了