APP下載
活動
爆料
圖輯
AI爆報
追蹤新聞
3
台灣彩券開獎直播中
三立iNEWS新聞台線上直播
LIVE三立+24小時直播
即時
台美關稅調降
九合一點將
新聞
熱門
政治
社會
娛樂
生活
新奇
健康
國際
兩岸
運動
財經
房產
旅遊
科技
汽車
遊戲
ESG
影音
總覽
政論
節目
熱搜
直播
iNEWS
專題
總覽
特企
專頁
大事件
彩券
專欄
民調
快訊
李西河將退休 蔣萬安:新人選尚未有消息
15:51
沒有要O眼榨汁 我是小生:是多沒幽默感
15:50
他勸別再買UNIQLO「5類單品」!改買這些
15:49
張文隨機殺人動機首曝光!2022年出現轉變
15:48
「全台第二大湯包」進駐南港LaLaport!
15:46
新/北捷又傳亮刀事件 車廂乘客四散驚逃
15:44
老闆PO影片公審客人!律師曝「嚴重下場」
15:44
感謝林俊憲力挺 陳亭妃秒約立院當面請益
15:43
邊佑錫遭黑粉「病態攻擊」!公司怒告回擊
15:42
一鍵脫衣引爆全球怒火 Grok不敵壓力喊卡
15:39
「借竅驅魔」打死女信徒 2審逆轉改判7年
15:37
大寒陰邪之日!5招養生旺運「6禁忌」別犯
15:37
新/1號颱風洛鞍生成 最新路徑大迴轉
15:37
不只軍購 AIT:美國願支持台灣「這1事」
15:36
周湯豪成都場被迫延期 親吐:無法上舞台
15:35
中國人好孤獨!APP問「你死了嗎」竟爆紅
15:34
藍扯賴瑞隆「新潮流傀儡」!他們反擊了
15:33
館長直播喊冤!網嗆「一路好走」
15:31
張文隨機殺人釀4死11傷 犯案過程曝光
15:29
女優爆6年沒性生活約砲名人 私訊對話曝
15:28
台灣彩券開獎直播中
20:31
別再死背英文!右腦圖像法15分鐘無痛學會
11:00
首頁
關鍵字
愛心眼
愛心眼
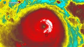
瑪娃開「愛心眼」有變數 最新各國路徑曝
今年第二號颱風「瑪娃」23日晚間轉為強颱,因眼牆置換...
2023/05/25 07:26
最新圖輯
更多
羅志祥30周年演唱會
凱琳專訪
黃鐙輝、吳念軒、黃騰浩專訪
第62屆金馬獎得獎後台
第62屆金馬獎紅毯
劉書宏專訪
袁澧林、陳孝萱專訪
第36屆金曲獎星光大道
第36屆金曲獎得獎圖輯
NMIXX林口體育館粉絲演唱會
今日頭條
1
新/北捷又傳亮刀事件 車廂乘客四散驚逃
2
新/1號颱風洛鞍生成 最新路徑大迴轉
3
張文隨機殺人釀4死11傷 犯案過程曝光
4
不只軍購 AIT:美國願支持台灣「這1事」
5
新/不怕英特爾競爭 台積電「敵人」現身
6
新/最後一刻喊卡!川普取消對伊朗動武
7
2026爭取當台北市母雞?沈伯洋表態了
8
羅智強嗆卓榮泰菜瓜布院長 黃帝穎回這句
9
啦啦隊女神送原廠發現定位器 經紀人發聲
10
赴泰旅遊禁帶「1餅乾」回台 最高罰100萬
HOT焦點
更多
別再死背英文!右腦圖像法15分鐘無痛學會
除濕≠防霉!抑菌香氛卡營造深呼吸空間
不止於得獎 茶學世家「曾的茶」推雙新品
頻道推薦
直播✦活動
三立新聞網
為了提供更好的閱讀內容,我們使用相關網站技術來改善使用者體驗,也尊重用戶的隱私權,特別提出聲明。
了解最新隱私權聲明
知道了