APP下載
活動
爆料
圖輯
阿立導讀
追蹤新聞
3
台灣彩券開獎直播中
三立iNEWS新聞台線上直播
LIVE三立+24小時直播
即時
賴突破中國打壓
台北爆鼠患
新聞
熱門
政治
社會
娛樂
生活
新奇
健康
國際
兩岸
運動
財經
房產
旅遊
科技
汽車
遊戲
ESG永續
影音
總覽
政論
節目
熱搜
直播
iNEWS
專題
總覽
特企
專頁
大事件
彩券
專欄
民調
快訊
5窮6絕魔咒恐失效?經理人點破「1」盲腸
04:30
蔣萬安滅鼠一招!他:抄阿扁政策複製貼上
04:27
羈押期滿!近50檔處置股將「出關」
04:25
珍珠號帶動驚天目標價!鴻海太空加AI發威
04:24
外資上週狂砍1922億 這3檔被倒貨30萬張
04:23
霸王硬上弓狂踢鐵板!習近平輸掉最後敬畏
04:06
電力指數今年飆38% 投資新解答是它!
04:02
台股急漲後怎麼辦?「這招」保住本金
04:00
老外熱議台積電!憂這「1」事恐一夕歸零
03:50
這國因挺台被中爛招對付!柑橘產業迎慘冬
03:45
出嘴就能跨國匯款!他推「AI代理錢包」
03:30
台積電穩了!三星二奈米大卡關高通跳船
03:10
5窮6絕魔咒還在?9字箴言讓你安心布局
03:03
家族金脈永留存!一招破解遺贈稅地雷
03:00
它單季EPS飆8.4元 4神祕客戶入股內幕曝
02:20
投資人將受創?6跡象指向美股巨大修正
02:10
想在牛市全身而退?專家揭8投資致命誘惑
02:00
分析師揭這2企業挑戰市值3兆鎂:回報可觀
01:50
馬斯克化身機器狗 柏林展出吸睛
01:31
男39年不管錢退休見沒存款 妻這句他淚崩
01:30
台灣彩券開獎直播中
20:31
逸硯空間設計年營收破3億 拚上市再掀話題
13:00
益生菌吃心酸?醫師點破「盲買迷思」
12:00
寵妻魔人用這台 幫老婆被動運動紓壓
14:00
裝潢資訊不透明引爭議 AI試算工具成趨勢
13:00
輝葉AI追夢椅精準按摩 小三都甘敗下風
20:00
遶境挑戰行動力!天地合補提供靈活補給
19:00
友華生技「愛斯康」成信眾最強健康後盾
12:00
高壓焦慮引發掉髮 醫師:及早介入可改善
16:00
落枕救星「PP石墨烯智能調節記憶枕」
15:00
年度電競盛事熱血回歸!即日起開放報名
19:00
花蓮復康免費搭乘 身障就醫行動無礙
12:00
台灣大哥大出優惠方案 實現Apple生態圈
12:00
首頁
關鍵字
致災雨
致災雨
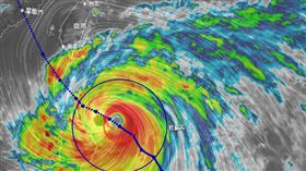
杜蘇芮發陸警 雨增強時間曝2地防致災雨
中央氣象局今(25)日14時30分針對中度颱風「杜蘇...
2023/07/25 15:25
最新圖輯
更多
茉ひるMahiru專訪
簡莉紋專訪
大霈專訪
劉冠廷專訪
林予晞、王真琳專訪
李雪、陳昱廷專訪
初孟軒、鍾岳軒專訪
龍千玉與翁立友領豪記唱片群星拜年
Rain鄭智薰小巨蛋演唱會
金在中演唱會
今日頭條
1
新/13縣市大雨特報 一路下到明天凌晨
2
神佈局!國安官員曝賴清德借史國專機始末
3
落雷電纜斷線!台中北屯2212戶停電搶修
4
高雄桶仔雞老店爆食物中毒!9人上吐下瀉
5
川習會在即 美專家:陸已掌握台海主導權
6
理監事未改選 徐春鶯兩岸婚姻聯盟遭解散
7
北市里長批李四川昔1政策:成為鼠疫溫床
8
不叫殘障了!陳佩琪喊斑斑:身心障礙的狗
9
安鼠之亂!議員踢爆「鼠類偵防師」才86人
10
快訊/大樂透5/5中獎號碼出爐
HOT焦點
更多
115全障運開幕卡司揭曉 畢書盡擔綱演出
戴運軌寓所、潮州街9號修繕完成 紀錄片曝
逸硯空間設計年營收破3億 拚上市再掀話題
頻道推薦
直播✦活動
三立新聞網
為了提供更好的閱讀內容,我們使用相關網站技術來改善使用者體驗,也尊重用戶的隱私權,特別提出聲明。
了解最新隱私權聲明
知道了