APP下載
活動
爆料
圖輯
阿立導讀
追蹤新聞
5
民進黨徵召沈伯洋選北市長
李多慧談狐臭曝管理秘訣
台灣彩券開獎直播中
三立iNEWS新聞台線上直播
LIVE三立+24小時直播
即時
川習強權交鋒
愛爾麗偷拍
新聞
熱門
政治
社會
娛樂
生活
新奇
健康
國際
兩岸
運動
財經
房產
旅遊
科技
汽車
遊戲
ESG永續
影音
總覽
政論
節目
熱搜
直播
iNEWS
專題
總覽
特企
專頁
大事件
彩券
專欄
民調
快訊
川習會前!中官媒突嘆:中美關係回不去
14:39
新/大動作搜環境部!環管署長涉背信罪
14:37
年死2萬人!心血管疾病「致命4不循環」曝
14:36
韓國瑜、林楚茵同台高歌 罕見畫面曝光
14:34
鄭麗文稱與習近平有共同語言 民進黨開酸
14:31
坎城/首位韓籍主席朴贊郁 率超強評審團
14:27
新/國民黨確定徵召魏平政參選彰化縣長
14:27
獨/錦德控父遭冒名 廖峻愛徒惟毅發聲了
14:24
民進黨推沈伯洋戰蔣萬安 王世堅16字祝福
14:23
新/它今暫停交易 開重訊記者會曝原因
14:21
網紅批淡江大橋200元品質 他掏1千下戰帖
14:21
2PM回歸前出事了!尼坤發福照曝光
14:15
趙露思演唱會1事超用心 泰語老師狂說讚
14:14
第37屆金曲獎入圍名單!最大贏家是蔡依林
14:13
天后爭霸!蔡依林張惠妹A-Lin搶金曲這獎
14:08
小S遭問初夜!首證實在這:當時幫Mike慶生
14:07
好康快搶「200換400」寧夏、逢甲都能用
14:07
川習會將登場!貝森特見何立峰 鎖定3件事
14:02
艾成冥誕前夕 王瞳帶哈嚕露營赴墓園告白
14:02
頑童睽違7年入圍金曲獎 力拚二度奪獎
14:01
台灣彩券開獎直播中
20:31
李多慧談狐臭曝管理秘訣
13:30
民進黨徵召沈伯洋選北市長
14:10
正三重右岸公園yoyo 具自住投資增值潛力
14:00
食物漬救星!ARIEL洗衣膠囊 髒衣一步洗淨
10:00
跨界新美學 「鸚鵡人」走進馬光中醫診所
12:00
高雄導入5G智慧消防救援 救災效率高50%
14:00
腸病毒升溫!攝取高營養密度水果增免疫力
13:00
國防自主 台製雷盾無人機反制系統亮相
17:00
炎炎夏日!Niseko「牛奶巧酥」雪糕受喜愛
14:00
黃惠爭接掌屏東不動產仲介公會
10:30
無基因突變肺癌治療 醫病溝通成關鍵
10:00
母親節送「輝葉垂直律動椅」坐著輕鬆動
10:00
首頁
關鍵字
雲捲風眼
雲捲風眼
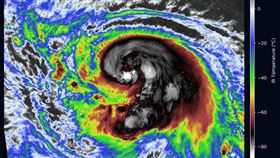
海葵驚現「雲捲風眼」 專家:努力增強中
海葵颱風來勢洶洶,動向備受外界關注,中央氣象局持續針...
2023/09/02 07:19
最新圖輯
更多
茉ひるMahiru專訪
簡莉紋專訪
大霈專訪
劉冠廷專訪
林予晞、王真琳專訪
李雪、陳昱廷專訪
初孟軒、鍾岳軒專訪
龍千玉與翁立友領豪記唱片群星拜年
Rain鄭智薰小巨蛋演唱會
金在中演唱會
今日頭條
1
新/國民黨確定徵召魏平政參選彰化縣長
2
新/大動作搜環境部!環管署長涉背信罪
3
第37屆金曲獎入圍名單!最大贏家是蔡依林
4
民進黨推沈伯洋戰蔣萬安 王世堅16字祝福
5
「麵屋一燈」爆多人吃完腹瀉!業者回應了
6
新/它今暫停交易 開重訊記者會曝原因
7
參戰彰化!蔡壁如盼跟國民黨「比民調」
8
今「國際請病假日」!上班族請假新制曝光
9
蔣萬安喊:將公布反針孔檢查沒回報的業者
10
川習會將登場!貝森特見何立峰 鎖定3件事
HOT焦點
更多
黃惠爭接掌屏東不動產仲介公會
無基因突變肺癌治療 醫病溝通成關鍵
台科研實力閃耀國際 2026愛迪生獎奪16獎
頻道推薦
直播✦活動
三立新聞網
為了提供更好的閱讀內容,我們使用相關網站技術來改善使用者體驗,也尊重用戶的隱私權,特別提出聲明。
了解最新隱私權聲明
知道了