APP下載
活動
爆料
圖輯
AI爆報
追蹤新聞
4
高虹安正式報到復職
台灣彩券開獎直播中
三立iNEWS新聞台線上直播
LIVE三立+24小時直播
即時
財劃法不副署
高虹安涉貪逆轉
新聞
熱門
政治
社會
娛樂
生活
新奇
健康
國際
兩岸
運動
財經
房產
旅遊
科技
汽車
遊戲
ESG
影音
總覽
政論
節目
熱搜
直播
iNEWS
專題
總覽
特企
專頁
大事件
彩券
專欄
民調
快訊
微波爐用了45年退役 品牌1要求感動7萬人
08:01
奧斯卡告別電視!頒獎典禮2029年起YT直播
07:56
她看高虹安二審判決:台政治落入危險賽局
07:56
李雙全同事轉汙點證人 謀財害命祕辛揭露
07:46
客製化Land Cruiser 硬派外表藏精品內裝
07:45
「3食物」防冬天發胖!越吃越瘦、還能提神
07:38
狼父趁女兒洗澡闖浴室洩慾…完事被妻撞見
07:33
美國防授權法案通過!軍援台灣最高316億
07:23
日媒爆中共召多國大使:逼各國表態選邊站
07:22
心靈教室竟是邪教煉獄!逼學員同婚、自瀆
07:15
涼糕哥爆切糕未戴口罩 口水猛噴食安堪慮
07:09
南迴搞軌謀殺案 李雙全疑殺妻輕生遺書曝
07:01
發展不起來?1市居民曝常跑外地:讓人厭世
06:58
台灣模式在宏國狂勝 外媒:中共輸的開端
06:56
明後天雨炸全台!2波冷空氣「凍到年底」
06:54
女友狂抽蓄!男友以為好玩1舉動害她喪命
06:53
費半跌近4%拖垮科技股 日韓股昨逆勢反彈
06:48
失智婦深夜闖車道…警助重逢見這幕卻鼻酸
06:45
7度破壞鐵路2次出軌 李泰安1句露餡變謀殺
06:37
美股收黑費半跌近4% 台積電ADR狂跌3.5%
06:32
台灣彩券開獎直播中
20:31
高虹安正式報到復職
08:00
讀者投書/從高虹安逆轉看林岱樺案
18:30
年底壓力爆表睡不著 醫揭三大假失眠警訊
15:00
國泰世華新加坡分行獲亞洲最佳企業雇主獎
15:00
高雄大氣球遊行登場 21顆空飄氣球超壯觀
12:00
首頁
關鍵字
烟花颱風
烟花颱風
颱風增水庫蓄水量 大台北年底前無虞
台北翡翠水庫管理局表示,颱風烟花帶來豐沛雨量,統計至...
2021/07/26 18:45
烟花威力有多強?主播實測竟險被吹走
「烟花」已經逐漸遠離台灣,所幸除了降雨之外,並未造成...
2021/07/25 21:53
中國暴雨再迎「烟花」上海機場全停航
暴雨造成中國河南省嚴重災情,中國氣象台預報,今明兩天...
2021/07/25 09:54
西南風帶雨灌中南部 專家:至少一週
吳聖宇說,進一步指出,依照目前的預報資料顯示,這樣的...
2021/07/25 09:20
南北兩樣情 烟花颱風殘餘影響一次看
烟花颱風雖然遠離,氣象局也解除了海上颱風警報,三立氣...
2021/07/24 21:24
新/水患未歇 「烟花」將大鬧中沿海
第六號颱風「烟花」在台灣尚未造成重大災情即北轉,依各...
2021/07/24 19:35
換南部下!中南部5縣市「大雨特報」
烟花颱風逐漸遠離台灣後,準備登陸中國,北部的雨勢也逐...
2021/07/24 16:53
烟花海警解除!今晚起換中南部防雨彈
受到今年第6號中度颱風「烟花」外圍環流影響,豪大雨襲...
2021/07/24 12:44
烟花將襲大陸 鄭明典:我們表達關心
在台灣家門口虎視眈眈的烟花颱風,加速轉彎往大陸移動,...
2021/07/24 11:23
水位快滿了!石門水庫洩洪畫面曝光
受到烟花颱風影響,北台灣也有大量降水,石門水庫接近滿...
2021/07/24 11:00
烟花午後雨趨緩!預計1130解海警
受到今年第6號中度颱風「烟花」外圍環流影響,豪大雨襲...
2021/07/24 09:43
石門水庫蓄水率達95% 一年來新高
烟花颱風外圍環流影響,豪大雨襲北台灣,也為水庫進帳不...
2021/07/24 07:59
烟花雨彈襲北台灣!雙北6區淹水警戒
烟花颱風外圍環流影響,北台灣面臨豪大雨,中央氣象局早...
2021/07/24 07:21
烟花颱風逼近 新北市9處明暫停接種
颱風「烟花」逼近!中央氣象局示警,預估今(23)日晚...
2021/07/23 15:48
烟花逼近越晚雨越猛!16縣市防豪雨
今年第6號颱風「烟花」目前正以每小時9轉14公里速度...
2021/07/23 15:08
十天內至少1颱風!尼伯特最快明成颱
今年第6號颱風「烟花」持續逼近台灣,預計今(23)日...
2021/07/23 12:36
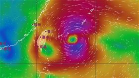
烟花襲台/今晚最靠近 最新路徑曝光
今年第6號颱風「烟花」終於動了!根據氣象局11時30...
2021/07/23 12:07
蔡英文慰問中國暴雨 陳以信這樣說
中國河南省省會鄭州市正遭遇最強豪雨襲擊,總統蔡英文2...
2021/07/23 12:03
烟花「估不觸陸」 3天風雨時程揭曉
大眼胖颱「烟花」終於動了!腳步不再緩慢,烟花颱風目前...
2021/07/23 11:06
小英慰問中國鄭州暴雨 連勝文這樣說
中國河南省省會鄭州市正遭遇最強豪雨襲擊,總統蔡英文2...
2021/07/23 10:13
烟花颱風帶來豪雨!汐止落石砸休旅車
烟花颱風緩慢移動接近台灣,外圍環流所帶來的雨勢,也讓...
2021/07/23 09:18
烟花這時間「離台灣最近」北部防豪雨
中央氣象局22日23點40分,召開線上記者會,說明烟...
2021/07/23 00:18
烟花今天幾乎沒移動 週五可能發陸警
「烟花」目前正逐漸接近台灣北部、東北部及東南部海面,...
2021/07/22 21:29
新竹縣五峰、尖石17校 明停班停課
中颱烟花22日17時的中心位置在台北的東南東方約47...
2021/07/22 19:44
烟花颱風掀巨浪!花蓮民宿超抖狂被打
今年第6號中度颱風「烟花」逼近,雖然暴風圈尚未觸陸,...
2021/07/22 19:39
新/快移車!北市水門8點後只出不進
烟花颱風步步進逼,北台灣首當其衝。台北市政府稍早發布...
2021/07/22 19:11
烟花路徑對台友善 專家:這區需防災
中颱烟花22日17時的中心位置在台北的東南東方約47...
2021/07/22 19:07
烟花颱風這天才遠離!全台風雨時程曝
烟花颱風的動態引起各界高度關注,目前台灣各地已經陸續...
2021/07/22 16:09
烟花襲台/超市賣場蔬菜備貨量多2倍
中颱「烟花」來襲,預估週五、週六兩天影響台灣最劇烈,...
2021/07/22 11:33
烟花襲台/放不放颱風假?機率降低中
烟花颱風腳程實在過慢,「颱風一慢,影響就大」,氣象局...
2021/07/22 11:17
最新圖輯
更多
第62屆金馬獎得獎後台
第62屆金馬獎紅毯
劉書宏專訪
袁澧林、陳孝萱專訪
第36屆金曲獎星光大道
第36屆金曲獎得獎圖輯
NMIXX林口體育館粉絲演唱會
KISS OF LIFE台北演唱會
林芯儀專訪
GYUBIN大巨蛋開球
今日頭條
1
美國防授權法案通過!軍援台灣最高316億
2
台灣歷任總統貢獻度排名?AI驚人答案曝光
3
5修復師補大體 清潔員妹慟:下身僅皮撐著
4
日媒爆中共召多國大使:逼各國表態選邊站
5
明後天雨炸全台!2波冷空氣「凍到年底」
6
【W飯店毒趴命案3】北檢首曝與惡鬥智關鍵
7
高虹安貪污無罪!今上班 藍禮讓競選連任
8
台版Top Gun/不只造飛機!漢翔轉型3部曲
9
中國禁赴日雪崩式下滑?謝金河曝數據驚呆
10
昔爆紅天菜涼糕哥遭爆欠錢!車禍追撞不賠
HOT焦點
更多
第8屆政府服務獎 台東獲社會創新共融獎
兒童到青少年房歐德量身打造全新成長空間
圓夢計畫開展 賴清德期勉學子辦時裝秀
頻道推薦
直播✦活動
三立新聞網
為了提供更好的閱讀內容,我們使用相關網站技術來改善使用者體驗,也尊重用戶的隱私權,特別提出聲明。
了解最新隱私權聲明
知道了