APP下載
活動
爆料
圖輯
阿立導讀
追蹤新聞
3
台灣彩券開獎直播中
三立iNEWS新聞台線上直播
LIVE三立+24小時直播
即時
川習強權交鋒
愛爾麗偷拍
新聞
熱門
政治
社會
娛樂
生活
新奇
健康
國際
兩岸
運動
財經
房產
旅遊
科技
汽車
遊戲
ESG永續
影音
總覽
政論
節目
熱搜
直播
iNEWS
專題
總覽
特企
專頁
大事件
彩券
專欄
民調
快訊
「川普金卡」目標售8萬張 1年後慘況曝
22:53
怕跑廁所不敢喝水!女老師竟排出鮮紅血尿
22:51
獨/檸檬FA生涯第1次Solo 被搶麥是刻意
22:51
全台平均薪資逾4.8萬 近7成上班族領不到
22:47
亞運棒球培訓名單出爐 16日正式展開集訓
22:43
胡智爲優質先發封鎖龍隊 蘇智傑開轟助陣
22:32
仿冒政府郵件頻傳 內政部:有3關鍵字勿點
22:30
63歲男星零偽裝農舍撿雞蛋 田園生活曝光
22:28
醉酒男大鬧台鐵車廂!髒話飆罵列車長慘了
22:25
不是睡太少!「1陷阱」害大腦窒息恐失智
22:17
兄弟把自己的PitchCom送來 悍將教頭嚇到
22:15
北港皇太子爭議多!動私刑組毒團控制小弟
22:13
AI重組全球供應鏈!謝金河揭2026台灣新局
22:12
馬建豪轟23分扳平 簡浩揭密「成長簡訊」
22:03
抓包尪出軌 女星疑傳「極端照片」惹憂心
22:01
重電股/東元董事會後 新訊必看
22:00
跳進舒適圈!雪鐵龍混動休旅全面升級
22:00
台科研實力閃耀國際 2026愛迪生獎奪16獎
22:00
曾遭四大金釵抹黑退選 黃守仕退出民眾黨
21:58
淡江大橋今通車!晚間發生「首撞」車禍
21:56
台灣彩券開獎直播中
20:31
食物漬救星!ARIEL洗衣膠囊 髒衣一步洗淨
10:00
跨界新美學 「鸚鵡人」走進馬光中醫診所
12:00
高雄導入5G智慧消防救援 救災效率高50%
14:00
腸病毒升溫!攝取高營養密度水果增免疫力
13:00
國防自主 台製雷盾無人機反制系統亮相
17:00
炎炎夏日!Niseko「牛奶巧酥」雪糕受喜愛
14:00
黃惠爭接掌屏東不動產仲介公會
10:30
母親節送「輝葉垂直律動椅」坐著輕鬆動
10:00
無基因突變肺癌治療 醫病溝通成關鍵
10:00
首頁
關鍵字
雨彈
雨彈
獨/苗栗街道淹成河 稻田、草莓園全泡湯
清明連假鋒面發威,中部雨彈狂炸,苗栗後龍一間草莓農場...
2026/04/04 20:50
新/暴雨再炸!12縣市大雨、苗栗大豪雨
今(4)日受到鋒面影響,一早多縣市降下大雨,尤其苗栗...
2026/04/04 11:22
新/氣象署12:00啟動大規模劇烈豪雨作業
受到風神颱風外圍環流及東北季風影響,今(20)日北部...
2025/10/20 11:04
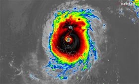
別小看風神!歐美模式示警「更恐怖1事」
今年編號第24號輕度颱風「風神」,今(18)日2時的...
2025/10/18 07:43
下到紫爆!5區大雷雨 14縣市豪雨特報
中央氣象署今(23)日10時54分氣象署發布大雷雨即...
2025/09/23 11:23
樺加沙回南風雨彈轟這3地區 減緩時間曝
中央氣象署今(23)日針對強烈颱風「樺加沙」(RAG...
2025/09/23 09:11
獨/雷雨突襲!101黑雲籠罩台北視角曝光
雨彈來襲!中央氣象署今(5)日13時06分發布大雷雨...
2025/08/05 14:22
新/雨轟南投釀災!8所國中、國小明停課
受到西南氣流影響,台灣中南部地區雨彈狂炸,水利署也針...
2025/07/31 17:57
新/南投4校下午起放假 今停班課一覽
受西南氣流影響,中南部大雨下不停,造成多處淹水、土石...
2025/07/30 12:24
新/雨彈炸中南部!台南大竹國小今停班課
受低壓帶及西南風影響,中南部遭雨彈強襲,氣象署一早就...
2025/07/28 12:25
明台灣陷大範圍低壓帶!雨彈一路下到這時
今年第4號颱風「丹娜絲」於今(7)日減弱為輕度颱風,...
2025/07/07 18:39
新/16縣市大雨特報!雙北小心大雷雨猛轟
中央氣象署16時11分發布大雷雨即時訊息,持續時間至...
2025/06/20 16:51
新/雨彈轟不停!17縣市發布豪、大雨特報
根據中央氣象署15時30分指出,受到午後對流雲系發展...
2025/06/06 15:59
新/鋒面雨彈警戒區擴大!10縣市大雨特報
根據中央氣象署11時20分指出,受到鋒面影響,易有短...
2025/05/07 11:37
全新警戒11縣市大雨特報 一路下到晚
根據中央氣象署9時55分指出,受到鋒面影響,易有短延...
2025/03/13 10:12
今晚變天冷氣團接力 一路濕冷到這天
今(3)日白天全台仍炎熱,晚間封面逐漸通過,降雨轉趨...
2025/03/03 09:28
元旦起轉濕!隔日範圍擴大 趨緩要等這天
今(30)日台灣仍處在高壓迴流的偏東風環境中,但除了...
2024/12/30 09:24
新/北北基4縣市大雨特報 11縣市防強風
根據中央氣象署15時40分指出,因東北季風影響,今(...
2024/12/08 15:58
強颱萬宜眼超清晰! 全台今起變天防雨彈
天兔颱風才剛消失,「萬宜」颱風緊接在後,直登今年最強...
2024/11/17 15:17
新/雨勢升級!7縣市豪、大雨特報下到入夜
根據中央氣象署15時20分指出,由於對流雲系發展旺盛...
2024/10/27 15:36
新/國家警報暴雨轟4區!2縣市慎防大雷雨
中央氣象署14時53分發布大雷雨即時訊息,影響時間為...
2024/10/27 15:06
雨彈襲7縣市大雨特報 一路下到晚上
根據中央氣象署14時10日指出,由於對流雲系發展旺盛...
2024/10/27 14:22
潭美助季風雨彈逐日升級!又有擾動現蹤
今年編號第20號輕度颱風「潭美(TRAMI)」凌晨生...
2024/10/22 14:48
新/雙北大雷雨猛轟!4縣市發豪、大雨特報
根據中央氣象署12時50分指出,因低氣壓影響,天氣仍...
2024/10/04 13:03
新/雨彈開轟!基隆多處淹水泥流溢路
今天對流雲系發展旺盛,易有短延時強降雨,中央氣象署針...
2024/09/26 10:26
低壓帶雨彈襲!13縣市發豪、大雨特報
根據中央氣象署18時05分指出,因低壓帶影響,易有短...
2024/09/21 18:29
5縣市發大雨特報、2縣市慎防大雷雨
根據中央氣象署15時5分指出,因對流雲系發展旺盛,易...
2024/09/12 15:30
9縣市豪、大雨特報 1縣市慎防大雷雨
根據中央氣象署15時35分指出,因午後對流雲系發展旺...
2024/09/10 15:50
雨彈來襲!7縣市緊急發布大雨特報
根據中央氣象署13時5分指出,因午後對流雲系發展旺盛...
2024/08/31 13:50
明起全台變天雨彈轟 一週雨勢一次看
今(28)日各地大多為多雲到晴,高溫炎熱,環境大致吹...
2024/08/28 12:30
最新圖輯
更多
茉ひるMahiru專訪
簡莉紋專訪
大霈專訪
劉冠廷專訪
林予晞、王真琳專訪
李雪、陳昱廷專訪
初孟軒、鍾岳軒專訪
龍千玉與翁立友領豪記唱片群星拜年
Rain鄭智薰小巨蛋演唱會
金在中演唱會
今日頭條
1
傳林志玲將接文策院董事 經紀公司證實了
2
新/台鐵區間車突起火!延誤40分鐘以上
3
鋒面夜襲台!「雷雨炸3天」這地雨勢最猛
4
男大生救溺失蹤16小時 警消晚間暫時收隊
5
楊寶楨喊不提名就脫黨 江和樹不挺酸1句
6
川習會要來了!5大攻防重點一次看懂
7
買房第一桶金重押股市?專家警:股房雙崩
8
曾蔡美佐遭毆骨裂現身喊:這口氣嚥不下去
9
獨/拍飛機登上CNN!女神也是他粉絲
10
台股震盪12檔坐牢!聯發科警報解除
HOT焦點
更多
搶攻龐大綠電商機 售電品牌正式上櫃掛牌
雲林縣長選情 張嘉郡拋斗六「孵蛋」政見
三鶯線履勘前整備完成 拚年中通車
頻道推薦
直播✦活動
三立新聞網
為了提供更好的閱讀內容,我們使用相關網站技術來改善使用者體驗,也尊重用戶的隱私權,特別提出聲明。
了解最新隱私權聲明
知道了